Votre e-mail a été envoyé.
28000 Chartres | 6 900 000 € par lot | À vendre



Description
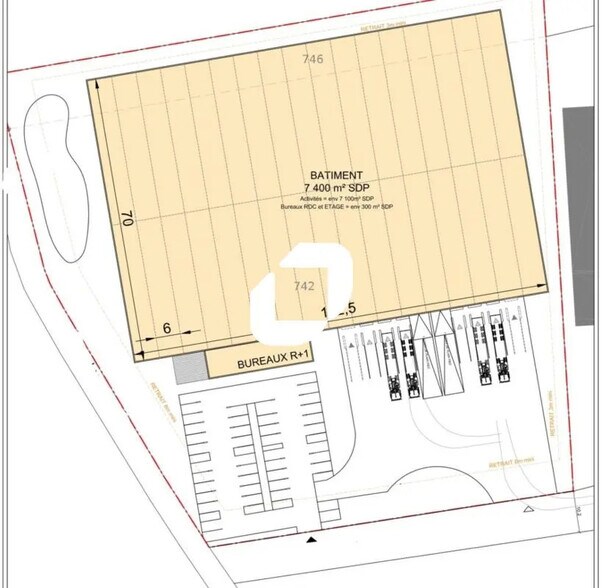
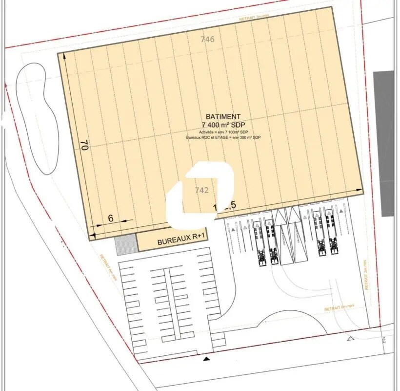
En limite de région Ile-de-France et Centre Val-de-Loire, Immprove vous propose en VEFA un bâtiment d'une surface d'environ 7 400 m² sur un terrain de 14 527m² à l'acquisition. Idéalement situé à Chartres, à proximité immédiate de l'A11. . Bâtiment indépendant . Une voirie adaptée aux circulations lourdes . Portail d'accès motorisé . Ossature métallique . Murs périmétriques en double bardage . Couverture : Bac acier . Hauteur libre de stockage sous poutre de 13 mètres . Charge au sol : 5T/m² . 8 portes à quai . 2 accès plain-pied Bureaux: . PVC ou moquette. . Goulotte double compartiments en périphérie des façades avec équipement d'une prise de PC tous les 10m² de SDP . Faux plafonds . Eclairage par pavés LED (hauteur 2,40m) . Climatisation 2 tubes . Portes Coupe-feu Surface RDC : 7550 m² Surface terrain : 14527
Informations sur l’immeuble
| Prix | 6 900 000 € | Surface totale de l’immeuble | 7 700 m² |
| Surface du lot | 150 - 7 400 m² | Type de bien | Industriel/Logistique |
| Nb de lots | 3 |
| Prix | 6 900 000 € |
| Surface du lot | 150 - 7 400 m² |
| Nb de lots | 3 |
| Surface totale de l’immeuble | 7 700 m² |
| Type de bien | Industriel/Logistique |
3 Lots disponibles
| Surface du lot | 150 m² | Type de vente | Propriétaire occupant |
| Usage du lot en coprop. | Bureau |
| Surface du lot | 150 m² |
| Usage du lot en coprop. | Bureau |
| Type de vente | Propriétaire occupant |
| Surface du lot | 150 m² | Type de vente | Propriétaire occupant |
| Usage du lot en coprop. | Bureau |
| Surface du lot | 150 m² |
| Usage du lot en coprop. | Bureau |
| Type de vente | Propriétaire occupant |
| Surface du lot | 7 400 m² | Type de vente | Propriétaire occupant |
| Usage du lot en coprop. | Industriel/Logistique |
| Surface du lot | 7 400 m² |
| Usage du lot en coprop. | Industriel/Logistique |
| Type de vente | Propriétaire occupant |
Présenté par
"28000 Chartres"
Hum, une erreur s’est produite lors de l’envoi de votre message. Veuillez réessayer.
Merci ! Votre message a été envoyé.
