Connectez-vous/S’inscrire
Votre e-mail a été envoyé.
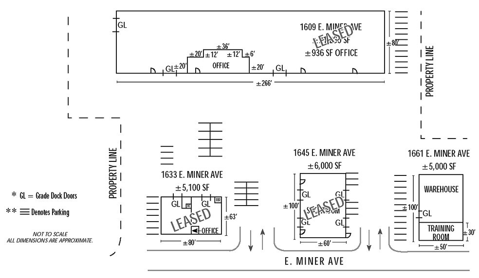
1645 E Miner Ave Industriel/Logistique | 557 m²



À propos 1645 E MINER AVE , STOCKTON , CA 95205
| Prix | Pas individuellement en vente | Surface du lot | 0,11 ha |
| Surface de l’immeuble | 557 m² | Occupation | Mono |
| Type de bien | Industriel/Logistique | Ratio de stationnement | 1,67/1 000 m² |
| Sous-type de bien | Entrepôt | Zone de développement économique [USA] |
Oui
|
| Classe d’immeuble | C |
| Prix | Pas individuellement en vente |
| Surface de l’immeuble | 557 m² |
| Type de bien | Industriel/Logistique |
| Sous-type de bien | Entrepôt |
| Classe d’immeuble | C |
| Surface du lot | 0,11 ha |
| Occupation | Mono |
| Ratio de stationnement | 1,67/1 000 m² |
| Zone de développement économique [USA] |
Oui |
Résumé analytique
The property offers high traffic location with excellent freeway access via Hwy 4 (Crosstown Freeway).
1 sur 4
Vidéos
Visite extérieure 3D Matterport
Visite 3D
Photos
Street view
Rue
Carte
