Votre e-mail a été envoyé.
Northland Industrial Park Tabor Trail Lots | Terrain commercial | 1,01-1,21 ha | À vendre | 128 568 €-171 711 € par lot | Brainerd, MN 56401



Certaines informations ont été traduites automatiquement.
Informations principales sur l'investissement
- Nouveau parc commercial/industriel !
- Des lots de différentes tailles à des prix abordables !
- Emplacement idéal pour les affaires sur l'autoroute 371 !
- Achetez et construisez du neuf dès aujourd'hui !
Résumé analytique
Informations sur l’immeuble
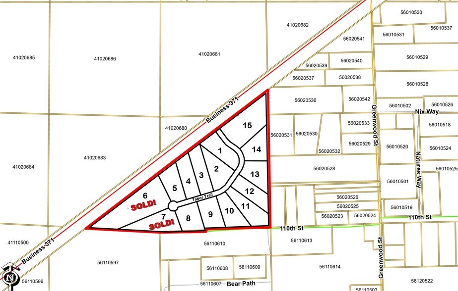
13 Lots disponibles
Lot 1 (11205)
| Prix | 159 631 € | Surface du lot | 1,06 ha |
| Prix par ha | 149 983,52 € |
| Prix | 159 631 € |
| Prix par ha | 149 983,52 € |
| Surface du lot | 1,06 ha |
2,63 acres au total ; 1,58 acres imperméables au maximum ; 266 pieds sur les autoroutes 371 et 660 sur Tabor Trl ; un puits et une fosse septique devront être installés
Lot 2 (11131)
| Prix | 145 825 € | Surface du lot | 1,15 ha |
| Prix par ha | 127 329,15 € |
| Prix | 145 825 € |
| Prix par ha | 127 329,15 € |
| Surface du lot | 1,15 ha |
2,83 acres au total ; 1,70 acres imperméables au maximum ; 372 pieds sur Tabor Trl ; un puits et une fosse septique devront être installés
Lot 3 (11103)
| Prix | 145 825 € | Surface du lot | 1,04 ha |
| Prix par ha | 140 210,70 € |
| Prix | 145 825 € |
| Prix par ha | 140 210,70 € |
| Surface du lot | 1,04 ha |
2,57 acres au total ; 1,54 acres imperméables au maximum ; 191 pieds sur l'autoroute 371 et 179 pieds sur Tabor Trl ; un puits et une fosse septique devront être installés
Lot 4 (11087)
| Prix | 145 825 € | Surface du lot | 1,01 ha |
| Prix par ha | 144 136,60 € |
| Prix | 145 825 € |
| Prix par ha | 144 136,60 € |
| Surface du lot | 1,01 ha |
2,50 acres au total ; 1,50 acres imperméables au maximum ; 210 pieds sur l'autoroute 371 et 197 pieds sur Tabor Trl ; un puits et une fosse septique devront être installés
Lot 5 (11067)
| Prix | 145 825 € | Surface du lot | 1,01 ha |
| Prix par ha | 144 136,60 € |
| Prix | 145 825 € |
| Prix par ha | 144 136,60 € |
| Surface du lot | 1,01 ha |
2,50 acres au total ; 1,50 acres imperméables au maximum ; 286 pieds sur l'autoroute 371 et 217 pieds sur Tabor Trl ; un puits et une fosse septique devront être installés
Lot 8 (11074)
| Prix | 128 568 € | Surface du lot | 1,01 ha |
| Prix par ha | 127 079,01 € |
| Prix | 128 568 € |
| Prix par ha | 127 079,01 € |
| Surface du lot | 1,01 ha |
2,50 acres au total ; 1,50 acres imperméables au maximum ; 322 pieds sur Tabor Trl ; un puits et une fosse septique devront être installés
Lot 9 (11096)
| Prix | 128 568 € | Surface du lot | 1,01 ha |
| Prix par ha | 127 079,01 € |
| Prix | 128 568 € |
| Prix par ha | 127 079,01 € |
| Surface du lot | 1,01 ha |
2,50 acres au total ; 1,50 acres imperméables au maximum ; 270 pieds sur Tabor Trl et 279 pieds sur la 110e rue ; un puits et une fosse septique devront être installés
Lot 10 (11126)
| Prix | 128 568 € | Surface du lot | 1,01 ha |
| Prix par ha | 127 079,01 € |
| Prix | 128 568 € |
| Prix par ha | 127 079,01 € |
| Surface du lot | 1,01 ha |
2,50 acres au total ; 1,50 acres imperméables au maximum ; 132 pieds sur Tabor Trl et 341 pieds sur la 110e rue ; un puits et une fosse septique devront être installés
Lot 11 (11138)
| Prix | 128 568 € | Surface du lot | 1,21 ha |
| Prix par ha | 106 609,91 € |
| Prix | 128 568 € |
| Prix par ha | 106 609,91 € |
| Surface du lot | 1,21 ha |
2,98 acres au total ; 1,79 acres imperméables au maximum ; 100 pieds sur Tabor Trl et 227 pieds sur la 110e rue ; un puits et une fosse septique devront être installés
Lot 12 (11158)
| Prix | 128 568 € | Surface du lot | 1,01 ha |
| Prix par ha | 127 079,01 € |
| Prix | 128 568 € |
| Prix par ha | 127 079,01 € |
| Surface du lot | 1,01 ha |
2,50 acres au total ; 1,50 acres imperméables au maximum ; 188 pieds sur Tabor Trl ; un puits et une fosse septique devront être installés
Lot 13 (11170)
| Prix | 128 568 € | Surface du lot | 1,01 ha |
| Prix par ha | 127 079,01 € |
| Prix | 128 568 € |
| Prix par ha | 127 079,01 € |
| Surface du lot | 1,01 ha |
2,50 acres au total ; 1,50 acres imperméables au maximum ; 195 pieds sur Tabor Trl ; un puits et une fosse septique devront être installés
Lot 14 (11192)
| Prix | 128 568 € | Surface du lot | 1,01 ha |
| Prix par ha | 127 079,01 € |
| Prix | 128 568 € |
| Prix par ha | 127 079,01 € |
| Surface du lot | 1,01 ha |
2,50 acres au total ; 1,50 acres imperméables au maximum ; 172 pieds sur Tabor Trl ; un puits et une fosse septique devront être installés
Lot 15 (11212)
| Prix | 171 711 € | Surface du lot | 1,06 ha |
| Prix par ha | 162 569,90 € |
| Prix | 171 711 € |
| Prix par ha | 162 569,90 € |
| Surface du lot | 1,06 ha |
2,61 acres au total ; 1,57 acres imperméables au maximum ; 768 pieds sur l'autoroute 371 et 381 pieds sur Tabor Trl ; un puits et une fosse septique devront être installés
Description
Emplacement de choix : Situé juste à côté de la Business Hwy 371, votre entreprise bénéficiera d'une grande visibilité sur le trafic et d'un accès facile aux marchés régionaux. Tailles de lots flexibles : choisissez parmi une variété de tailles de lots pour répondre aux besoins de votre entreprise, que vous soyez une start-up ou une entreprise établie. Environnement favorable aux entreprises : Brainerd s'engage à favoriser un climat commercial favorable avec des incitations et des ressources potentielles pour vous aider à réussir. Proximité des commodités : Profitez d'un accès proche aux commodités locales, notamment aux restaurants, aux hôtels et aux possibilités de loisirs, ce qui en fait un lieu pratique pour vos employés et vos clients.
Présenté par
Northland Industrial Park | Tabor Trail
Hum, une erreur s’est produite lors de l’envoi de votre message. Veuillez réessayer.
Merci ! Votre message a été envoyé.
