Connectez-vous/S’inscrire
Votre e-mail a été envoyé.
Certaines informations ont été traduites automatiquement.
INFORMATIONS PRINCIPALES SUR L'INVESTISSEMENT
- Le propriétaire envisagera de construire en fonction des options pour les locataires qualifiés.
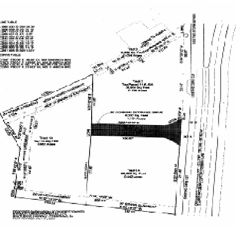
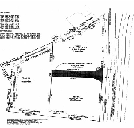
- Il existe déjà une bordure pavée partagée avec O'Reilly Auto Parts.
RÉSUMÉ ANALYTIQUE
Tract est adjacent au nouveau magasin O'Reilly Auto Parts. La parcelle 1B est de 0,982 acres, soit 89 000,00$.
INFORMATIONS SUR L’IMMEUBLE
| Prix | 76 285 € | Sous-type de bien | Terrain commercial |
| Type de vente | Investissement | Usage proposé | Commercial |
| Nb de lots | 1 | Surface totale du lot | 0,4 ha |
| Type de bien | Terrain | Zone de développement économique [USA] |
Oui
|
| Zonage | C4 - Commercial | ||
| Prix | 76 285 € |
| Type de vente | Investissement |
| Nb de lots | 1 |
| Type de bien | Terrain |
| Sous-type de bien | Terrain commercial |
| Usage proposé | Commercial |
| Surface totale du lot | 0,4 ha |
| Zone de développement économique [USA] |
Oui |
| Zonage | C4 - Commercial |
1 LOT DISPONIBLE
Lot
| Prix | 76 285 € | Surface du lot | 0,4 ha |
| Prix par ha | 192 352,53 € |
| Prix | 76 285 € |
| Prix par ha | 192 352,53 € |
| Surface du lot | 0,4 ha |
1 1
TAXES FONCIÈRES
| Numéro de parcelle | 12-6-10A | Évaluation des aménagements | 0 € |
| Évaluation du terrain | 32 998 € | Évaluation totale | 32 998 € |
TAXES FONCIÈRES
Numéro de parcelle
12-6-10A
Évaluation du terrain
32 998 €
Évaluation des aménagements
0 €
Évaluation totale
32 998 €
1 sur 2
VIDÉOS
VISITE EXTÉRIEURE 3D MATTERPORT
VISITE 3D
PHOTOS
STREET VIEW
RUE
CARTE
1 sur 1
Présenté par
Tract 1B | Ocilla Hwy
Vous êtes déjà membre ? Connectez-vous
Hum, une erreur s’est produite lors de l’envoi de votre message. Veuillez réessayer.
Merci ! Votre message a été envoyé.

