Connectez-vous/S’inscrire
Votre e-mail a été envoyé.
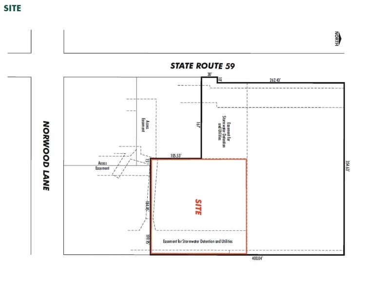
Norwood Ln Local commercial 418 m² À vendre Bartlett, IL 60103



Certaines informations ont été traduites automatiquement.
INFORMATIONS PRINCIPALES SUR L'INVESTISSEMENT
- Idéalement situé à proximité des quartiers commerçants animés.
- Situé du côté est de la route 59, au nord de Norwood Lane.
RÉSUMÉ ANALYTIQUE
Ce site prêt à l'emploi situé à l'intersection de la Route 59 et de Norwood Ln possède un terrain constructible de ± 30 000 pieds carrés, une profondeur d'environ 158 x 185 et permet la construction d'un bâtiment de ± 4 500 pieds carrés. Il fournit des égouts et de l'eau au site et permet une détention hors site. La signalisation sur la route 59 (25 % du panneau existant) assure une excellente viabilité sur une route très fréquentée. Demandez 15,00$ par personne ou construisez sur mesure
INFORMATIONS SUR L’IMMEUBLE
Type de vente
Investissement
Condition de vente
Construction sur mesure
Type de bien
Local commercial
Sous-type de bien
Immeuble de commerce
Surface de l’immeuble
418 m²
Classe d’immeuble
B
Année de construction
2027
Statut de la construction
Avant-projet
Occupation
Mono
Hauteur du bâtiment
1 étage
Coefficient d’occupation des sols de l’immeuble
0,04
Surface du lot
1,17 ha
Zonage
B-2
CARACTÉRISTIQUES
- Signalisation
1 1
PRINCIPAUX COMMERCES À PROXIMITÉ
TAXES FONCIÈRES
| Numéro de parcelle | 01-04-408-013 | Évaluation des aménagements | 0 € |
| Évaluation du terrain | 13 344 € | Évaluation totale | 13 344 € |
TAXES FONCIÈRES
Numéro de parcelle
01-04-408-013
Évaluation du terrain
13 344 €
Évaluation des aménagements
0 €
Évaluation totale
13 344 €
1 sur 4
VIDÉOS
VISITE EXTÉRIEURE 3D MATTERPORT
VISITE 3D
PHOTOS
STREET VIEW
RUE
CARTE
1 sur 1
Présenté par
Norwood Ln
Vous êtes déjà membre ? Connectez-vous
Hum, une erreur s’est produite lors de l’envoi de votre message. Veuillez réessayer.
Merci ! Votre message a été envoyé.
