Connectez-vous/S’inscrire
Votre e-mail a été envoyé.
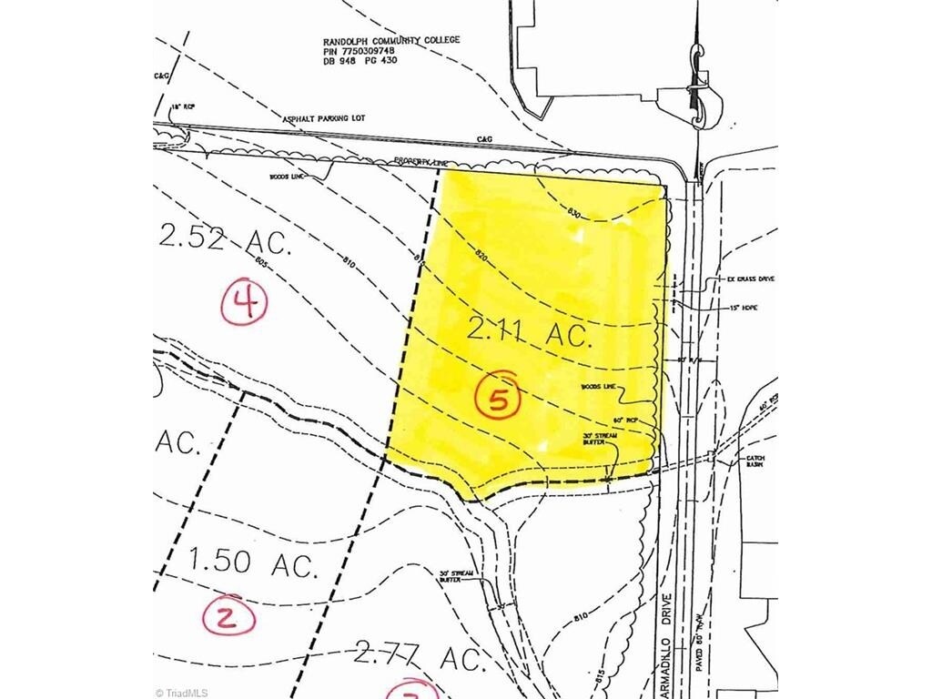
Boling Lot 5 McDowell Rd Lot | Terrain commercial | 0,85 ha | À vendre | 258 861 € | Asheboro, NC 27205

Certaines informations ont été traduites automatiquement.
Résumé analytique
Excellente opportunité pour votre prochain projet. Bureaux du comté de Randolph de l'autre côté de la rue, Randolph Community College adjacent au nord. De nombreuses autres entreprises dans les environs immédiats. Services publics disponibles à proximité. Terrain adjacent supplémentaire disponible. En direction du sud sur l'I-73/74, prenez la sortie McDowell Road. Tournez à gauche, l'établissement se trouve sur la gauche juste après l'intersection avec Industrial Park Avenue.
Informations sur l’immeuble
| Prix | 258 861 € | Sous-type de bien | Terrain commercial |
| Type de vente | Investissement | Usage proposé | |
| Nb de lots | 1 | Surface totale du lot | 0,85 ha |
| Type de bien | Terrain | ||
| Zonage | B-2 | ||
| Prix | 258 861 € |
| Type de vente | Investissement |
| Nb de lots | 1 |
| Type de bien | Terrain |
| Sous-type de bien | Terrain commercial |
| Usage proposé | |
| Surface totale du lot | 0,85 ha |
| Zonage | B-2 |
1 Lot disponible
Lot 5
| Prix | 258 861 € | Surface du lot | 0,85 ha |
| Prix par ha | 304 599,74 € |
| Prix | 258 861 € |
| Prix par ha | 304 599,74 € |
| Surface du lot | 0,85 ha |
1 1
Somewhat walkable
20/100
Exceptionally drivable
100/100
Minimal public transit
10/100
Somewhat bikeable
20/100
Taxes foncières
| Numéro de parcelle | 7750-30-6008 | Évaluation des aménagements | 0 € |
| Évaluation du terrain | 292 409 € | Évaluation totale | 292 409 € |
Taxes foncières
Numéro de parcelle
7750-30-6008
Évaluation du terrain
292 409 €
Évaluation des aménagements
0 €
Évaluation totale
292 409 €
1 sur 2
Vidéos
Visite extérieure 3D Matterport
Visite 3D
Photos
Street view
Rue
Carte
1 sur 1
Présenté par
Boling Lot 5 | McDowell Rd
Vous êtes déjà membre ? Connectez-vous
Hum, une erreur s’est produite lors de l’envoi de votre message. Veuillez réessayer.
Merci ! Votre message a été envoyé.
