Connectez-vous/S’inscrire
Votre e-mail a été envoyé.
Riverside Development Land Lots 3 4 5 6 Block 10 Riverside Lot | Résidentiel | 0,44 ha | À vendre | 1 284 853 € | Bend, OR 97703


Certaines informations ont été traduites automatiquement.
RÉSUMÉ ANALYTIQUE
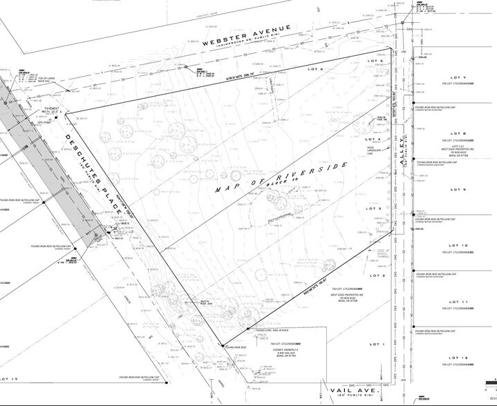
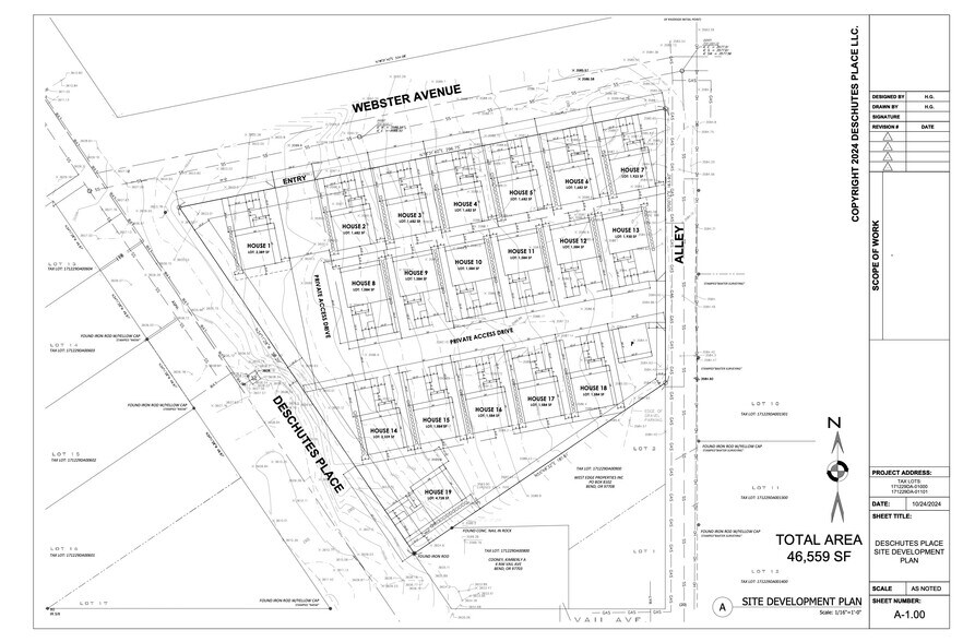
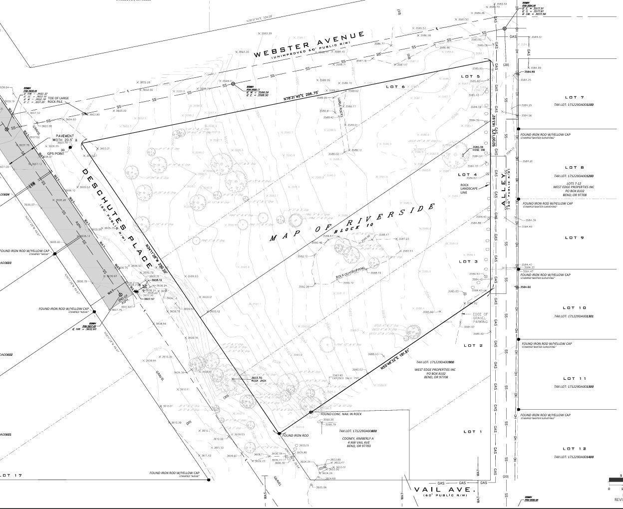
Two adjacent parcels totaling 1.08 acres, offered together and zoned RM – Residential/Multi-Family, presenting an excellent opportunity for infill housing or multi-unit development in one of Bend’s most desirable growth areas.
Located on the west side of Highway 97, these lots sit in a quiet, up-and-coming neighborhood surrounded by attractive single-family homes and adjacent to multi-million-dollar riverfront properties. The setting offers a rare balance of privacy and proximity — removed from the congestion of heavily trafficked corridors, yet just minutes from Downtown Bend, the Deschutes River, and the River Trail for the quintessential Bend lifestyle.
With RM zoning, the site provides strong development potential for single family units, townhomes, or multifamily projects (buyer to verify density and entitlements with the City of Bend). This is a rare opportunity to develop in a highly desirable pocket of West Bend with access to both natural amenities and urban convenience.
Any and all plans are conceptual and not guaranteed.
Located on the west side of Highway 97, these lots sit in a quiet, up-and-coming neighborhood surrounded by attractive single-family homes and adjacent to multi-million-dollar riverfront properties. The setting offers a rare balance of privacy and proximity — removed from the congestion of heavily trafficked corridors, yet just minutes from Downtown Bend, the Deschutes River, and the River Trail for the quintessential Bend lifestyle.
With RM zoning, the site provides strong development potential for single family units, townhomes, or multifamily projects (buyer to verify density and entitlements with the City of Bend). This is a rare opportunity to develop in a highly desirable pocket of West Bend with access to both natural amenities and urban convenience.
Any and all plans are conceptual and not guaranteed.
INFORMATIONS SUR L’IMMEUBLE
| Prix | 1 284 853 € | Sous-type de bien | Résidentiel |
| Type de vente | Investissement ou propriétaire occupant | Surface totale du lot | 0,44 ha |
| Nb de lots | 1 | Zone de développement économique [USA] |
Oui
|
| Type de bien | Terrain | ||
| Zonage | RM | ||
| Prix | 1 284 853 € |
| Type de vente | Investissement ou propriétaire occupant |
| Nb de lots | 1 |
| Type de bien | Terrain |
| Sous-type de bien | Résidentiel |
| Surface totale du lot | 0,44 ha |
| Zone de développement économique [USA] |
Oui |
| Zonage | RM |
1 LOT DISPONIBLE
Lot
| Prix | 1 284 853 € | Surface du lot | 0,44 ha |
| Prix par ha | 2 939 759,80 € |
| Prix | 1 284 853 € |
| Prix par ha | 2 939 759,80 € |
| Surface du lot | 0,44 ha |
1 1
Bike Score®
Très praticable en vélo (74)
1 sur 3
VIDÉOS
VISITE EXTÉRIEURE 3D MATTERPORT
VISITE 3D
PHOTOS
STREET VIEW
RUE
CARTE
1 sur 1
Présenté par
Riverside Development Land | Lots 3 4 5 6 Block 10 Riverside
Vous êtes déjà membre ? Connectez-vous
Hum, une erreur s’est produite lors de l’envoi de votre message. Veuillez réessayer.
Merci ! Votre message a été envoyé.
