Votre e-mail a été envoyé.
23 AC for Rehab. Center / Resid. Care / SF Homestead Ave Lot | Résidentiel | 9,31 ha | À vendre | Holyoke, MA 01040



Certaines informations ont été traduites automatiquement.
RÉSUMÉ ANALYTIQUE
Zoned Residential 1 A
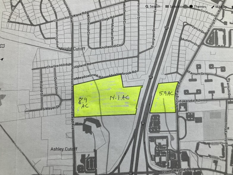
Total Land 23 AC
Buildable AC. TBD
Concept Plan for 28 Single Family Residential Subdivision
Abuts Route 91
Easy Highway Access
Neighbors include Amazon, Cracker Barrel Old Country Store, Fairfield Inn & Suites.
INFORMATIONS SUR L’IMMEUBLE
| Type de vente | Investissement | Sous-type de bien | Résidentiel |
| Nb de lots | 1 | Usage proposé | |
| Type de bien | Terrain | Surface totale du lot | 9,31 ha |
| Zonage | Residential 1 A - R- 1A. Residential 1 A | ||
| Type de vente | Investissement |
| Nb de lots | 1 |
| Type de bien | Terrain |
| Sous-type de bien | Résidentiel |
| Usage proposé | |
| Surface totale du lot | 9,31 ha |
| Zonage | Residential 1 A - R- 1A. Residential 1 A |
1 LOT DISPONIBLE
Lot
| Surface du lot | 9,31 ha |
| Surface du lot | 9,31 ha |
Former Whiting Estates ~ Beautiful 23 + AC Parcel, High and Dry Lot ~ Extraordinary Views, Overlooking Holyoke and Springfield. A brook divides the property into a 14 AC and 9 AC section. Town Water and Sewer.
DESCRIPTION
Beautiful 23 + AC Parcel, Former Whiting Estates, High and Dry Lot with Extraordinary Views, Overlooking Holyoke and views towards Springfield. A brook divides the property into a 14 AC and 9 AC section. Town Water and Sewer plus the property has its own Artesian Well and a Fire Hydrant, (a 8 inch water main to the property off of the cities waterline). 2 points of entry, access off Homestead Ave. and Meadowbrook Rd. with frontage on Route 91.
Présenté par
23 AC for Rehab. Center / Resid. Care / SF | Homestead Ave
Hum, une erreur s’est produite lors de l’envoi de votre message. Veuillez réessayer.
Merci ! Votre message a été envoyé.

