Connectez-vous/S’inscrire
Votre e-mail a été envoyé.
Gumtree Road at Hwy 109 Gumtree Road Lot | Terrain industriel | 20,11 ha | À vendre | 3 882 915 € | Winston-Salem, NC 27107



Certaines informations ont été traduites automatiquement.
Informations principales sur l'investissement
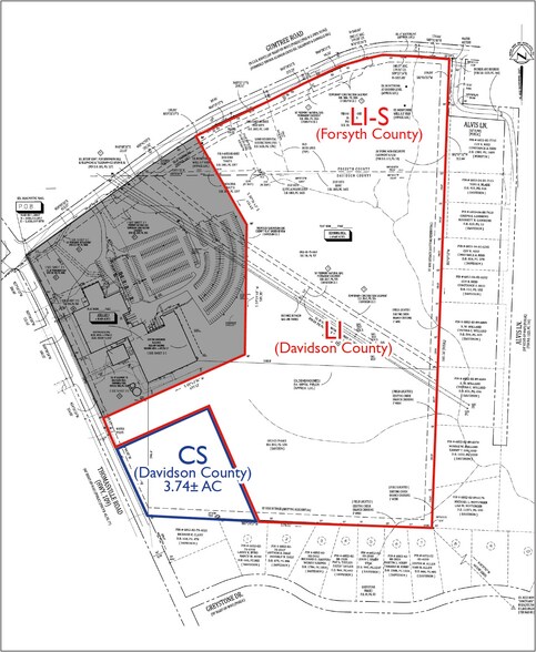
- Industrial: 45.947± acres
- Utilities Available Nearby
- Commercial: 3.74± acres
Résumé analytique
Industrial development land in the booming Union Cross Submarket. Site is primarily zoned LI/LI-S with 3.74± acres zoned Shopping Center. Draft site plans show potential for up to 400,000± SF of Industrial. Strong residential demand around site as well. Utilities adjoin the site. A small portion is zoned CS which can accommodate retail development with 432' frontage on Hwy 109.
Informations sur l’immeuble
| Prix | 3 882 915 € | Type de bien | Terrain |
| Type de vente | Investissement ou propriétaire occupant | Sous-type de bien | Terrain industriel |
| Nb de lots | 1 | Surface totale du lot | 20,11 ha |
| Zonage | LI, CS, LI-S | ||
| Prix | 3 882 915 € |
| Type de vente | Investissement ou propriétaire occupant |
| Nb de lots | 1 |
| Type de bien | Terrain |
| Sous-type de bien | Terrain industriel |
| Surface totale du lot | 20,11 ha |
| Zonage | LI, CS, LI-S |
1 Lot disponible
Lot
| Prix | 3 882 915 € | Surface du lot | 20,11 ha |
| Prix par ha | 193 095,02 € |
| Prix | 3 882 915 € |
| Prix par ha | 193 095,02 € |
| Surface du lot | 20,11 ha |
1 1
Somewhat walkable
30/100
Exceptionally drivable
100/100
Not bikeable
10/100
1 sur 4
Vidéos
Visite extérieure 3D Matterport
Visite 3D
Photos
Street view
Rue
Carte
1 sur 1
Présenté par
Gumtree Road at Hwy 109 | Gumtree Road
Vous êtes déjà membre ? Connectez-vous
Hum, une erreur s’est produite lors de l’envoi de votre message. Veuillez réessayer.
Merci ! Votre message a été envoyé.
