Connectez-vous/S’inscrire
Votre e-mail a été envoyé.
Certaines informations ont été traduites automatiquement.
INFORMATIONS PRINCIPALES SUR L'INVESTISSEMENT
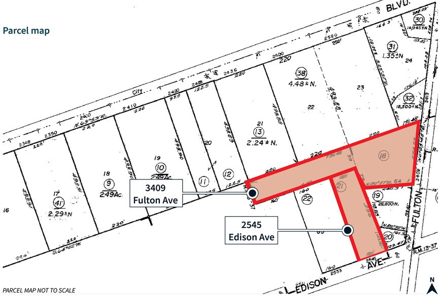
- Two parcels ±3.32 acres
- 274' street frontage on Fulton Ave
- Existing billboard on Edison Ave (leased long-term)
- 3 existing buildings on 3409 Fulton Ave parcel
- Monument sign on Fulton Ave
- Zoned CMU (commercial mixed use) with underly AC (auto commercial)
RÉSUMÉ ANALYTIQUE
auto dealership land with ±12,117 SF of existing buildings
INFORMATIONS SUR L’IMMEUBLE
| Prix | 4 515 368 € | Nb de biens | 2 |
| Prix/m² | 4 338 € / m² | Individuellement en vente | 0 |
| Type de vente | Investissement ou propriétaire occupant | Surface totale de l’immeuble | 1 041 m² |
| Statut | Actif | Surface totale du terrain | 1,34 ha |
| Prix | 4 515 368 € |
| Prix/m² | 4 338 € / m² |
| Type de vente | Investissement ou propriétaire occupant |
| Statut | Actif |
| Nb de biens | 2 |
| Individuellement en vente | 0 |
| Surface totale de l’immeuble | 1 041 m² |
| Surface totale du terrain | 1,34 ha |
Biens
| NOM DU BIEN/ADRESSE | TYPE DE BIEN | SURFACE | ANNÉE DE CONSTRUCTION | PRIX INDIVIDUEL |
|---|---|---|---|---|
| 3409 Fulton Ave, Sacramento, CA 95821 | Local commercial | 1 041 m² | 1954 | - |
| 2545 Edison Ave, Sacramento, CA 95821 | Terrain | 0,4 ha | - | - |
1 1
1 sur 3
VIDÉOS
VISITE EXTÉRIEURE 3D MATTERPORT
VISITE 3D
PHOTOS
STREET VIEW
RUE
CARTE
1 sur 1
Présenté par
Fulton-Edison Automotive
Vous êtes déjà membre ? Connectez-vous
Hum, une erreur s’est produite lors de l’envoi de votre message. Veuillez réessayer.
Merci ! Votre message a été envoyé.


