Connectez-vous/S’inscrire
Votre e-mail a été envoyé.
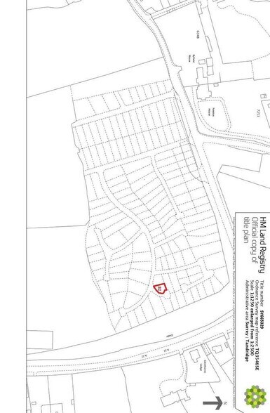
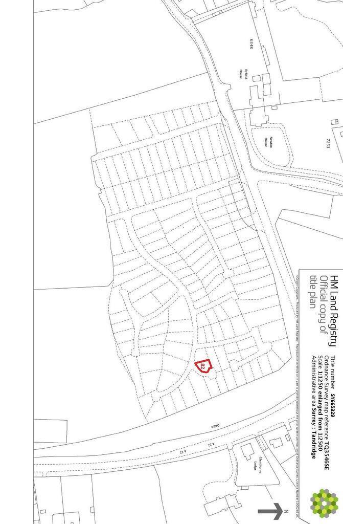
Eastbourne Rd Lot | Résidentiel | 0,01 ha | À vendre | 39 923 € | Blindley Heath RH7 6JX


Certaines informations ont été traduites automatiquement.
INFORMATIONS PRINCIPALES SUR L'INVESTISSEMENT
- For Sale By Online Auction - Terms & Conditions apply
- Ideal self-build potential
- Great location
- Land site for sale
- Hands free investment prospect
RÉSUMÉ ANALYTIQUE
Pleased to offer to auction Plot 82 Eastbourne Road approximate sizing 120 sqm (1300 sqft).
INFORMATIONS SUR L’IMMEUBLE
| Prix | 39 923 € | Nb de lots | 1 |
| Type de vente | Investissement | Type de bien | Terrain |
| Condition de vente | Vente aux enchères | Sous-type de bien | Résidentiel |
| Droit d’usage | Pleine propriété | Surface totale du lot | 0,01 ha |
| Prix | 39 923 € |
| Type de vente | Investissement |
| Condition de vente | Vente aux enchères |
| Droit d’usage | Pleine propriété |
| Nb de lots | 1 |
| Type de bien | Terrain |
| Sous-type de bien | Résidentiel |
| Surface totale du lot | 0,01 ha |
1 LOT DISPONIBLE
Lot
| Prix | 39 923 € | Surface du lot | 0,01 ha |
| Prix par ha | 3 305 594,33 € |
| Prix | 39 923 € |
| Prix par ha | 3 305 594,33 € |
| Surface du lot | 0,01 ha |
The property is subject to an overage provision and obligations in relation to development of the land.
1 1
1 sur 3
VIDÉOS
VISITE EXTÉRIEURE 3D MATTERPORT
VISITE 3D
PHOTOS
STREET VIEW
RUE
CARTE
1 sur 1
Présenté par
Eastbourne Rd
Vous êtes déjà membre ? Connectez-vous
Hum, une erreur s’est produite lors de l’envoi de votre message. Veuillez réessayer.
Merci ! Votre message a été envoyé.
