Votre e-mail a été envoyé.
Coffee Creek Coffee Crk Lots | Terrain commercial | 0,2-4,05 ha | À vendre | 212 825 €-212 825 € par lot | Chesterton, IN 46304



Certaines informations ont été traduites automatiquement.
INFORMATIONS SUR L’IMMEUBLE
6 LOTS DISPONIBLES
Lot CC - South
| Surface du lot | 0,4 ha |
| Surface du lot | 0,4 ha |
De nombreuses tailles différentes sont disponibles. Qu'il s'agisse de sites de développement de 1 acre le long de l'IN-49 ou de sites de développement de plusieurs acres, Coffee Creek offre des opportunités pour tout plan de développement.
Lot CC - North
| Surface du lot | 4,05 ha |
| Surface du lot | 4,05 ha |
Le développement à usage mixte est la vision ici. Les boutiques situées au niveau de la rue donnent sur la réserve, où les clients peuvent dîner en face de la fontaine tout en admirant la nature. Montez ensuite à l'étage pour vivre dans un appartement ou un condo.
Lot
| Surface du lot | 0,2 ha |
| Surface du lot | 0,2 ha |
Un terrain d'un demi-acre, prêt pour la pelle. De nouvelles routes sont en cours de construction le long de Village Point, qui permettront aux utilisateurs d'accéder à des terrains d'un demi-acre sans se soucier des remblais. Simple et facile !
Lot 12, 20, 21
| Prix | 212 825 € | Surface du lot | 0,2 ha |
| Prix par ha | 1 051 804,06 € |
| Prix | 212 825 € |
| Prix par ha | 1 051 804,06 € |
| Surface du lot | 0,2 ha |
Les lots peuvent être combinés
Lot 12
| Prix | 212 825 € | Surface du lot | 0,2 ha |
| Prix par ha | 1 051 804,06 € |
| Prix | 212 825 € |
| Prix par ha | 1 051 804,06 € |
| Surface du lot | 0,2 ha |
Lot 20, 21
| Prix | 212 825 € | Surface du lot | 0,2 ha |
| Prix par ha | 1 051 804,06 € |
| Prix | 212 825 € |
| Prix par ha | 1 051 804,06 € |
| Surface du lot | 0,2 ha |
Les lots peuvent être combinés
DESCRIPTION
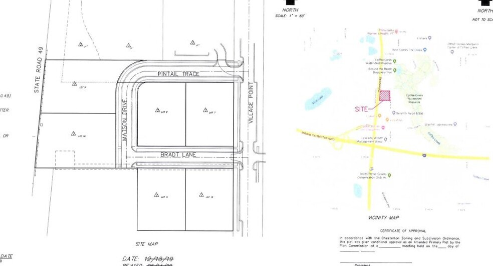
La première opportunité de développement commercial dans le comté de Porter. Les terrains abondent aux portes de Main & Main, où l'IN-49 rejoint l'I-90 sur une rampe à Chesterton, dans l'Indiana. L'opportunité s'offre aux développeurs comme aux utilisateurs finaux, car nous commercialisons pour la première fois des sites d'un acre ainsi que des parcelles plus grandes pour votre propre planification stratégique. Il y a de la place pour le bureau, le commerce de détail, le médical, et les documents PUD encouragent grandement la planification d'utilisations mixtes.
Présenté par
Coffee Creek | Coffee Crk
Hum, une erreur s’est produite lors de l’envoi de votre message. Veuillez réessayer.
Merci ! Votre message a été envoyé.
