Connectez-vous/S’inscrire
Votre e-mail a été envoyé.
Clear Creek Business Park 2 biens | Terrain | Mint Hill, NC

Certaines informations ont été traduites automatiquement.
INFORMATIONS PRINCIPALES SUR L'INVESTISSEMENT
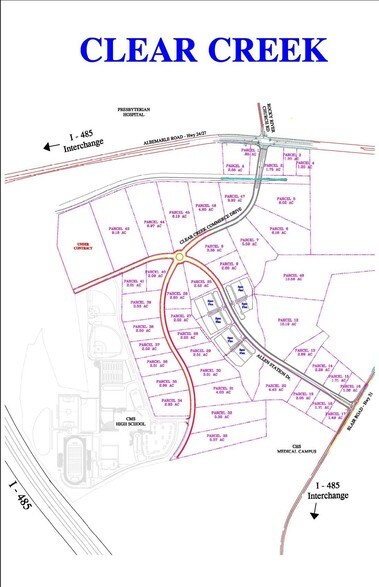
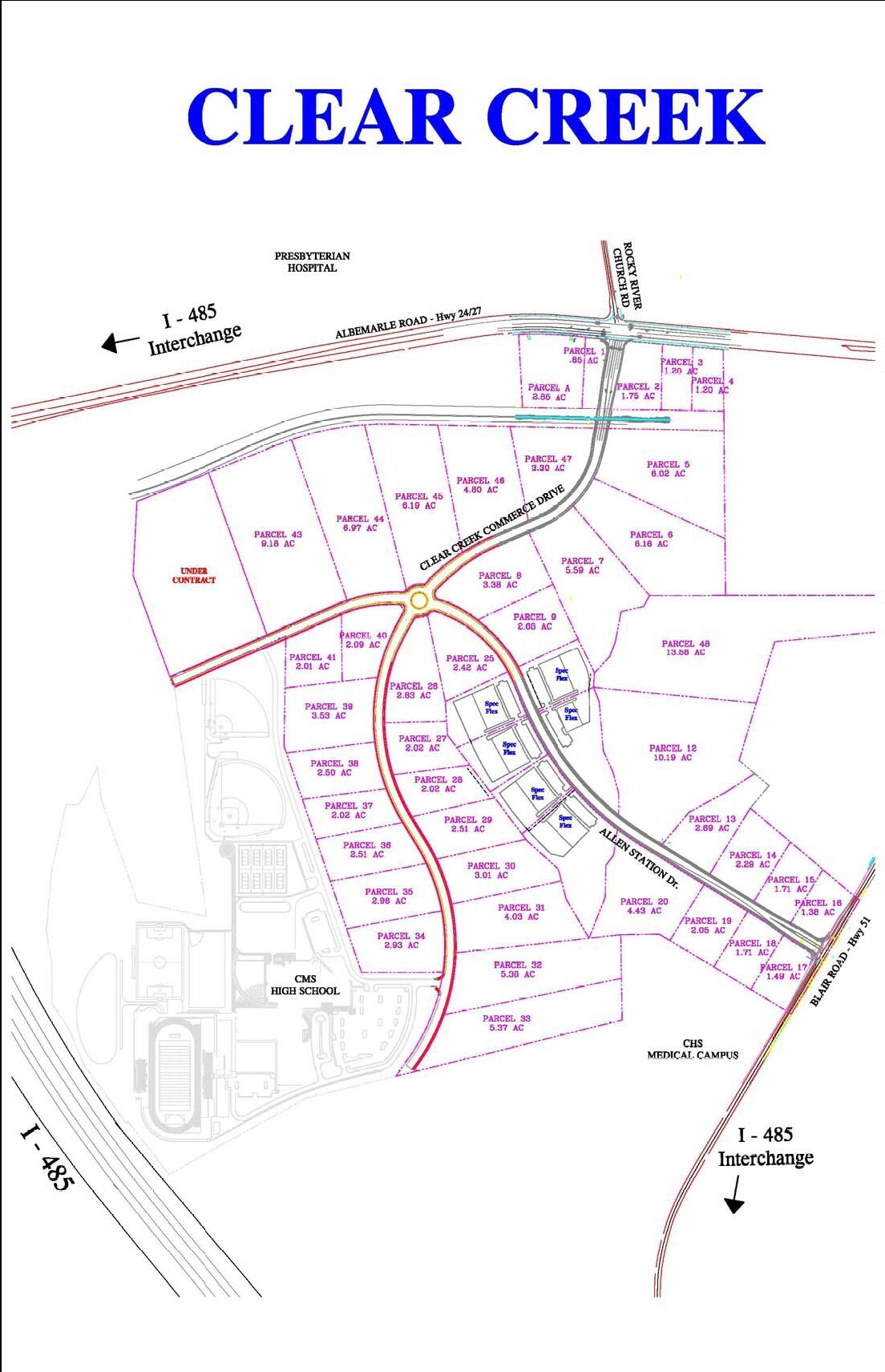
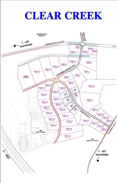
- Located within a 177-acre master-planned business park
- Zoned IG (CUD) for industrial and compatible uses
- Ideal for owner-users, developers, or investors
- Direct access to I-485 and Albemarle Road corridor
- Surrounded by national retailers and medical services
RÉSUMÉ ANALYTIQUE
Located within the expansive 177-acre Clear Creek Business Park, these two parcels—3.88 acres and 1.75 acres—offer a strategic opportunity for industrial or compatible commercial development in Mint Hill, NC. Positioned directly off Albemarle Road with immediate access to I-485, the site benefits from excellent connectivity to the greater Charlotte metro area and regional logistics corridors. The IG (CUD) zoning designation allows for a mix of limited industrial, retail, and service uses, making the parcels ideal for owner-users, developers, or investors seeking flexibility and long-term growth potential.
INFORMATIONS SUR L’IMMEUBLE
| Type de vente | Investissement | Individuellement en vente | 0 |
| Statut | Actif | Surface totale du terrain | 2,28 ha |
| Nb de biens | 2 |
| Type de vente | Investissement |
| Statut | Actif |
| Nb de biens | 2 |
| Individuellement en vente | 0 |
| Surface totale du terrain | 2,28 ha |
Biens
| NOM DU BIEN/ADRESSE | TYPE DE BIEN | SURFACE | PRIX INDIVIDUEL |
|---|---|---|---|
|
Parcel 20
Clear Creek Business Park, Mint Hill, NC 28227 |
Terrain | 1,57 ha | - |
|
Parcel 17
Clear Creek Business Park, Mint Hill, NC 28227 |
Terrain | 0,71 ha | - |
1 of 1
1 de 2
VIDÉOS
VISITE 3D
PHOTOS
STREET VIEW
RUE
CARTE
1 of 1
Présenté par
Clear Creek Business Park
Vous êtes déjà membre ? Connectez-vous
Hum, une erreur s’est produite lors de l’envoi de votre message. Veuillez réessayer.
Merci ! Votre message a été envoyé.
