Connectez-vous/S’inscrire
Votre e-mail a été envoyé.
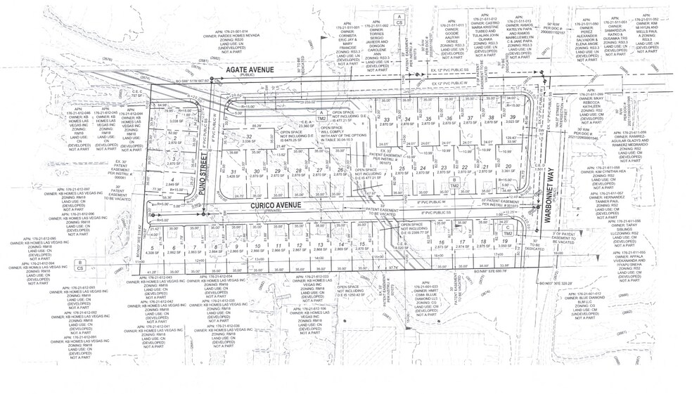
39 Lots - Agate and Warbonnet Agate and Warbonnet Lot | Résidentiel | 2,02 ha | À vendre | 4 499 985 € | Las Vegas, NV 89133



Certaines informations ont été traduites automatiquement.
INFORMATIONS PRINCIPALES SUR L'INVESTISSEMENT
- Fully entitled site plan and approved for 39 lots
- 35x82 sq ft lots
RÉSUMÉ ANALYTIQUE
-Fully entitled site plan and approved for 39 lots.
-Potential cost sharing with Clark County on flood control facility.
-All utilities are at the property
-Multiple access with paved roads.
-Located in a booming southwest location
-Potential cost sharing with Clark County on flood control facility.
-All utilities are at the property
-Multiple access with paved roads.
-Located in a booming southwest location
INFORMATIONS SUR L’IMMEUBLE
| Prix | 4 499 985 € | Type de bien | Terrain |
| Type de vente | Investissement | Sous-type de bien | Résidentiel |
| Condition de vente | 1031 Exchange | Usage proposé | |
| Nb de lots | 1 | Surface totale du lot | 2,02 ha |
| Zonage | RS2 | ||
| Prix | 4 499 985 € |
| Type de vente | Investissement |
| Condition de vente | 1031 Exchange |
| Nb de lots | 1 |
| Type de bien | Terrain |
| Sous-type de bien | Résidentiel |
| Usage proposé | |
| Surface totale du lot | 2,02 ha |
| Zonage | RS2 |
1 LOT DISPONIBLE
Lot 39
| Prix | 4 499 985 € | Surface du lot | 2,02 ha |
| Prix par ha | 2 223 941,03 € |
| Prix | 4 499 985 € |
| Prix par ha | 2 223 941,03 € |
| Surface du lot | 2,02 ha |
-Fully entitled site plan and approved for 39 lots -35x82sq ft lots -Potential cost sharing with Clark County on flood control facility -All utilities are at the property -Multiple access with paved roads -Located in a booming southwest location
DESCRIPTION
Located in booming Southwest Las Vegas.
1 1
TAXES FONCIÈRES
| N° de parcelle | Évaluation des aménagements | 0 € | |
| Évaluation du terrain | 457 198 € | Évaluation totale | 457 198 € |
TAXES FONCIÈRES
N° de parcelle
Évaluation du terrain
457 198 €
Évaluation des aménagements
0 €
Évaluation totale
457 198 €
1 sur 4
VIDÉOS
VISITE EXTÉRIEURE 3D MATTERPORT
VISITE 3D
PHOTOS
STREET VIEW
RUE
CARTE
1 sur 1
Présenté par
39 Lots - Agate and Warbonnet | Agate and Warbonnet
Vous êtes déjà membre ? Connectez-vous
Hum, une erreur s’est produite lors de l’envoi de votre message. Veuillez réessayer.
Merci ! Votre message a été envoyé.

