Votre e-mail a été envoyé.
Germantown Corner - Lot 3 970 Dave Ward Dr Lot | Terrain commercial | 0,47 ha | À vendre | 336 519 € | Conway, AR 72034



Certaines informations ont été traduites automatiquement.
Informations principales sur l'investissement
- Emplacement central sur Dave Ward Drive
- Intersection protégée contre la lumière
- Facilement accessible depuis South German Lane et Dave Ward Drive
- À côté de Taco Bueno, Krispy Kreme et Hardees
Informations sur l’immeuble
| Prix | 336 519 € | Sous-type de bien | Terrain commercial |
| Type de vente | Investissement | Usage proposé | |
| Nb de lots | 1 | Surface totale du lot | 0,47 ha |
| Type de bien | Terrain | ||
| Zonage | C-3 - C-3 | ||
| Prix | 336 519 € |
| Type de vente | Investissement |
| Nb de lots | 1 |
| Type de bien | Terrain |
| Sous-type de bien | Terrain commercial |
| Usage proposé | |
| Surface totale du lot | 0,47 ha |
| Zonage | C-3 - C-3 |
1 Lot disponible
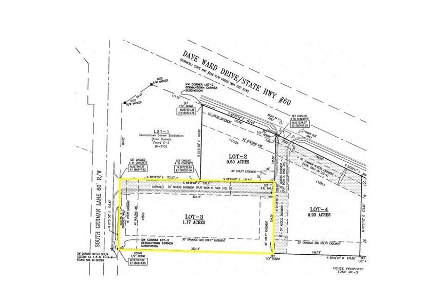
Lot 3
| Prix | 336 519 € | Surface du lot | 0,47 ha |
| Prix par ha | 710 732,72 € |
| Prix | 336 519 € |
| Prix par ha | 710 732,72 € |
| Surface du lot | 0,47 ha |
Zone résidentielle et commerciale en pleine croissance. Idéal pour les développements commerciaux, de restaurants ou de bureaux.
Description
Ce 1.17 est facilement accessible depuis Dave Ward Drive via une intersection signalée dans un développement très visible qui comprend Taco Bueno, Krispy Kreme et Hardees. Le lot peut être partagé. Emplacement central sur Dave Ward Drive. Facilement accessible depuis South German Lane et Dave Ward Drive. Intersection protégée contre la lumière. À côté de Taco Bueno, Krispy Kreme et Hardees.
Taxes foncières
| Numéro de parcelle | 710-08533-103 | Évaluation des aménagements | 0 € |
| Évaluation du terrain | 43 903 € | Évaluation totale | 43 903 € |
Taxes foncières
Présenté par
Germantown Corner - Lot 3 | 970 Dave Ward Dr
Hum, une erreur s’est produite lors de l’envoi de votre message. Veuillez réessayer.
Merci ! Votre message a été envoyé.
