Connectez-vous/S’inscrire
Votre e-mail a été envoyé.
Certaines informations ont été traduites automatiquement.
Informations principales sur l'investissement
- Prime ±9.67-acre infill site in East Oakland with immediate freeway and transit access.
- Zoning overlays allow for diverse housing types, density bonuses, and streamlined approvals.
- Close to major employers, retail centers, and recreational amenities in the Bay Area.
- Located near Coliseum BART, San Leandro BART, and Oakland International Airport.
- Positioned adjacent to a successful residential community, reinforcing market demand.
Résumé analytique
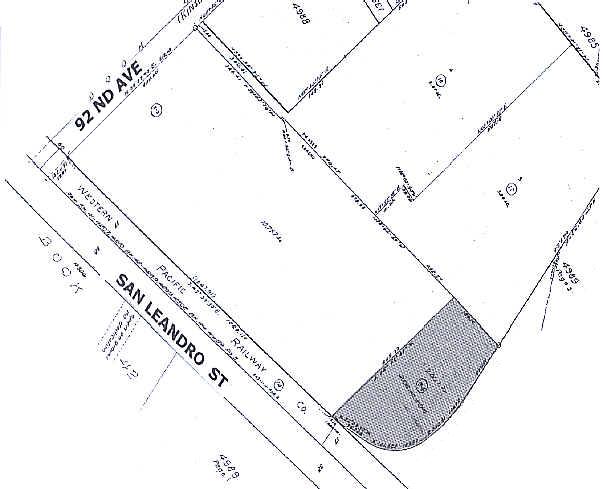
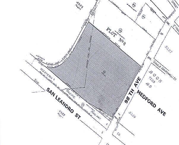
±9.67-acre residential development opportunity in Oakland, CA. The property consists of two parcels located in East Oakland, near the border of the neighboring City of San Leandro. It occupies a unique position adjacent to the highly successful Arcadia Park development by Pulte Homes. With ample acreage, the site offers the flexibility to support a range of housing types. Additionally, local impact fees may be waived or reduced, and density bonuses are available through the inclusion of affordable housing, enhancing the property’s development potential.
Informations sur l’immeuble
| Type de vente | Investissement | Usage proposé | Logement |
| Nb de lots | 1 | Surface totale du lot | 3,92 ha |
| Type de bien | Terrain | Occupation | Mono |
| Sous-type de bien | Terrain commercial | ||
| Zonage | HBX-2 - Housing and Business Mix | ||
| Type de vente | Investissement |
| Nb de lots | 1 |
| Type de bien | Terrain |
| Sous-type de bien | Terrain commercial |
| Usage proposé | Logement |
| Surface totale du lot | 3,92 ha |
| Occupation | Mono |
| Zonage | HBX-2 - Housing and Business Mix |
1 Lot disponible
Lot
| Surface du lot | 3,92 ha |
| Surface du lot | 3,92 ha |
1 1
Somewhat walkable
30/100
Exceptionally drivable
100/100
Good public transit
60/100
Fairly bikeable
50/100
Taxes foncières
| N° de parcelle | Évaluation des aménagements | 0 € | |
| Évaluation du terrain | 7 067 949 € | Évaluation totale | 7 067 949 € |
Taxes foncières
N° de parcelle
Évaluation du terrain
7 067 949 €
Évaluation des aménagements
0 €
Évaluation totale
7 067 949 €
1 sur 4
Vidéos
Visite extérieure 3D Matterport
Visite 3D
Photos
Street view
Rue
Carte
1 sur 1
Présenté par
921 98th Ave
Vous êtes déjà membre ? Connectez-vous
Hum, une erreur s’est produite lors de l’envoi de votre message. Veuillez réessayer.
Merci ! Votre message a été envoyé.



