Connectez-vous/S’inscrire
Votre e-mail a été envoyé.
835 Gillette Blvd Lot | Terrain commercial | 1,33 ha | À vendre | 431 004 € | San Antonio, TX 78224



Certaines informations ont été traduites automatiquement.
Informations principales sur l'investissement
- Développement prêt à l'emploi : tous les documents de construction sont inclus, prêts pour une construction horizontale.
- Emplacement privilégié : à proximité de VIDA, de l'université Texas A&M, du Palo Alto College, de l'autoroute 410 et de la base de Brooks City.
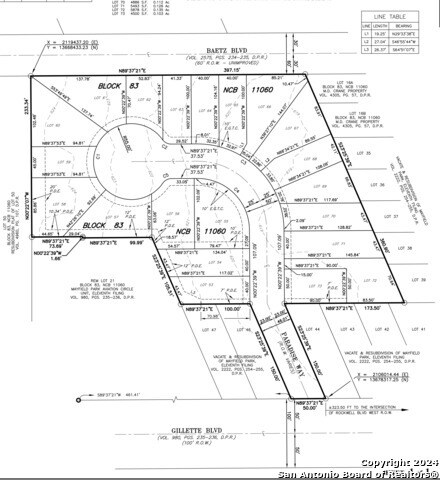
- Platted for 21 Homes : Conçu pour un projet de 21 maisons unifamiliales.
Résumé analytique
Une opportunité idéale pour un développeur de capitaliser sur une opportunité de développement prête à démarrer dans le sud en plein essor de San Antonio ! Cette propriété est vendue avec tous les travaux de construction nécessaires pour commencer la construction horizontale et prévoit la construction de 21 maisons unifamiliales. Voir le plan de la ville sur les photos. Excellent projet pour les développeurs et les constructeurs qui souhaitent évoluer vers un projet plus vaste. À proximité du VIDA, de l'université Texas A&M, du Palo Alto College, de l'autoroute 410, de la base de Brooks City et plus encore !
Informations sur l’immeuble
| Prix | 431 004 € | Type de bien | Terrain |
| Type de vente | Investissement | Sous-type de bien | Terrain commercial |
| Nb de lots | 1 | Surface totale du lot | 1,33 ha |
| Zonage | R-4 - Résidentiel | ||
| Prix | 431 004 € |
| Type de vente | Investissement |
| Nb de lots | 1 |
| Type de bien | Terrain |
| Sous-type de bien | Terrain commercial |
| Surface totale du lot | 1,33 ha |
| Zonage | R-4 - Résidentiel |
1 Lot disponible
Lot
| Prix | 431 004 € | Surface du lot | 1,33 ha |
| Prix par ha | 323 718,23 € |
| Prix | 431 004 € |
| Prix par ha | 323 718,23 € |
| Surface du lot | 1,33 ha |
Contactez le courtier pour plus d'informations.
Description
Cette parcelle de 3 296 acres est prête pour un développement immédiat, avec tous les documents de construction nécessaires pour un développement horizontal et un plan pour 21 maisons unifamiliales. Située à proximité de VIDA, de l'université Texas A&M, du Palo Alto College, de l'autoroute 410 et de la base de Brooks City, cette propriété offre un potentiel important pour les promoteurs et les constructeurs souhaitant réaliser des projets de plus grande envergure.
1 1
Somewhat walkable
30/100
Exceptionally drivable
100/100
Minimal public transit
10/100
Fairly bikeable
50/100
1 sur 6
Vidéos
Visite extérieure 3D Matterport
Visite 3D
Photos
Street view
Rue
Carte
1 sur 1
Présenté par
835 Gillette Blvd
Vous êtes déjà membre ? Connectez-vous
Hum, une erreur s’est produite lors de l’envoi de votre message. Veuillez réessayer.
Merci ! Votre message a été envoyé.
