Votre e-mail a été envoyé.
Rollins Plaza 818-900 E Rollins Rd Espace disponible | 0–604 m² | Local commercial | Round Lake, IL 60073



Certaines informations ont été traduites automatiquement.
Informations principales
- 39,000 VPD combined traffic count along the primary road of Round Lake Beach, Rollins Road with multiple ingress/egress points
- Strong retail corridor with neighboring national tenants such as: Walmart Supercenter, Home Depot, Tony’s Fresh Market, Ross, Kohl’s, Crunch Fitness
- 5-mile radius demos of +140,000 people earning $135,000+ average household income
Disponibilité de l’espace (3)
Afficher le tarif en
- Espace
- Surface
- Durée
- Loyer
- Type de loyer
| Espace | Surface | Durée | Loyer | Type de loyer | ||
| 1er étage | 0 m² | Négociable | Sur demande Sur demande Sur demande Sur demande | À déterminer | ||
| 1er étage | 279 m² | Négociable | Sur demande Sur demande Sur demande Sur demande | À déterminer | ||
| 1er étage | 325 m² | Négociable | Sur demande Sur demande Sur demande Sur demande | À déterminer |
900 E Rollins Rd - 1er étage
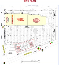
Exceptional visibility, access, and parking with ~1,000+ feet of frontage on high volume road. Positioned along the primary road of Round Lake Beach, Rollins Road, and Route 83 combining for a 39,000 VPD with multiple ingress/egress points. 5-mile radius demos of +150,000 people earning $130,000+ average household income Strong retail node with neighboring national tenants such as: The Home Depot, Walmart Supercenter, Hobby Lobby, Ross, Kohl’s, Crunch Fitness, and Target coming soon.
- Entièrement aménagé comme Local commercial standard
- Espace en excellent état
900 E Rollins Rd - 1er étage
QRS PAD SITE (With Drive-Thru): 3,000 SF / 60’ X 50’
- L’espace est une parcelle indépendante de ce bien
- QRS PAD SITE (With Drive-Thru): 3,000 SF / 60’X50
900 E Rollins Rd - 1er étage
QRS PAD SITE (With Drive-Thru): 3,500 SF / 50’ X 70’
- L’espace est une parcelle indépendante de ce bien
- QRS PAD SITE (With Drive-Thru): 3,500 SF / 50’X70
Types de loyers
Le montant et le type de loyer que l’occupant (locataire) est tenu de payer au propriétaire (bailleur) sur la durée du bail sont négociés avant la signature du bail par les deux parties. Le type de loyer varie selon les services fournis. Par exemple, le prix d’un loyer triple net est habituellement inférieur à celui d’un bail à service complet puisque l’occupant est tenu d’assumer des dépenses supplémentaires par rapport au loyer de base. Contacter le broker chargé de l’annonce pour bien comprendre les coûts associés ou les dépenses supplémentaires pour chaque type de loyer.
1. Service complet: Un loyer qui comprend des services d’immeuble standards normaux fournis par le propriétaire dans le cadre d’une location annuelle de base.
2. Double net (NN): L’occupant paie seulement deux des frais de l’immeuble. Le propriétaire et l’occupant déterminent ces frais spécifiques avant la signature du bail.
3. Triple net (NNN): Un bail selon lequel l’occupant est responsable de tous les frais liés à sa part proportionnelle d’occupation de l’immeuble.
4. Brut modifié: Le brut modifié est un type général de bail dans lequel l’occupant est en général responsable de sa part proportionnelle d’une ou de plusieurs dépenses. C’est le propriétaire qui paie les frais restants. Consultez la liste ci-dessous pour connaître les structures de loyers bruts modifiés les plus courantes : 4. Plus services publics: Un type de bail brut modifié, où l’occupant est responsable à hauteur de sa part proportionnelle des services publics en plus du loyer. 4. Plus nettoyage: Un type de bail brut modifié, où l’occupant est responsable à hauteur de sa part proportionnelle du nettoyage en plus du loyer. 4. Plus électricité: Un type de bail brut modifié, où l’occupant est responsable à hauteur de sa part proportionnelle du coût de la consommation électrique en plus du loyer. 4. Plus électricité et nettoyage: Un type de bail brut modifié, où l’occupant est responsable à hauteur de sa part proportionnelle du coût de la consommation électrique et du nettoyage en plus du loyer. 4. Plus services publics et charges: Un type de bail brut modifié où l’occupant est responsable à hauteur de sa part proportionnelle des services publics et du coût de nettoyage en plus du loyer. 4. Bail industriel brut: Un type de bail brut modifié dans lequel l’occupant paie un ou plusieurs des frais en plus du loyer. Le propriétaire et l’occupant déterminent ces frais spécifiques avant la signature du bail.
5. Électricité à la charge de l’occupant: Le propriétaire paie pour tous les services et l’occupant est responsable de sa propre utilisation de l’éclairage et des prises électriques dans l’espace qu’il occupe.
6. Négociable ou sur demande: Cette option est utilisée lorsque le contact de location n’indique pas le type de loyer ou de service.
7. À déterminer: À déterminer : utilisé pour les immeubles dont le type de services ou de loyer n’est pas connu, souvent quand l’immeuble n’est pas encore construit.
Sélectionner des occupants à Rollins Plaza
- Occupant
- Description
- US localisations
- Couverture
- AutoZone
- Automobile
- 7 133
- International
- Hobby Lobby
- Loisirs
- 1 324
- National
- Jewel-Osco
- Supermarché
- 189
- Régional
- Pep Boys
- Automobile
- 1 070
- International
| Occupant | Description | US localisations | Couverture |
| AutoZone | Automobile | 7 133 | International |
| Hobby Lobby | Loisirs | 1 324 | National |
| Jewel-Osco | Supermarché | 189 | Régional |
| Pep Boys | Automobile | 1 070 | International |
Informations sur l’immeuble
À propos du bien
- Grocery-anchored by a strong Jewel-Osco, the top market share grocer in the Chicagoland suburbs - 2 new construction outparcels with drive-thrus!!! - Max of 3,500 square feet each - Other co-tenants incluse Hobby Lobby, Autozone, and Pep Boys
Principaux commerces à proximité
Présenté par
Rollins Plaza | 818-900 E Rollins Rd
Hum, une erreur s’est produite lors de l’envoi de votre message. Veuillez réessayer.
Merci ! Votre message a été envoyé.




