Connectez-vous/S’inscrire
Votre e-mail a été envoyé.
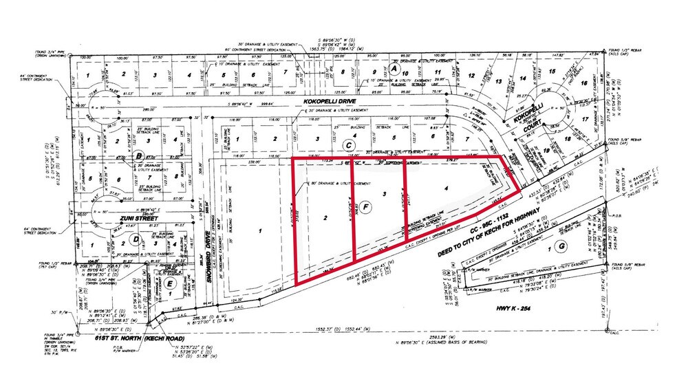
KECHI BUILD-TO-SUIT OPPORTUNITY 810 E Kechi Rd Lot | Terrain commercial | 1,46 ha | À vendre | 440 984 € | Kechi, KS 67067


Certaines informations ont été traduites automatiquement.
Informations principales sur l'investissement
- Aucune évaluation spéciale.
Résumé analytique
On pourrait construire jusqu'à trois bâtiments.
Informations sur l’immeuble
| Prix | 440 984 € | Sous-type de bien | Terrain commercial |
| Type de vente | Investissement ou propriétaire occupant | Usage proposé | |
| Nb de lots | 1 | Surface totale du lot | 1,46 ha |
| Type de bien | Terrain | ||
| Zonage | C-3 | ||
| Prix | 440 984 € |
| Type de vente | Investissement ou propriétaire occupant |
| Nb de lots | 1 |
| Type de bien | Terrain |
| Sous-type de bien | Terrain commercial |
| Usage proposé | |
| Surface totale du lot | 1,46 ha |
| Zonage | C-3 |
1 Lot disponible
Lot
| Prix | 440 984 € | Surface du lot | 1,46 ha |
| Prix par ha | 301 854,88 € |
| Prix | 440 984 € |
| Prix par ha | 301 854,88 € |
| Surface du lot | 1,46 ha |
La propriété peut être construite selon les besoins. La taille des lots est flexible.
Description
Excellente visibilité. Accès facile à l'autoroute 254.
1 1
Not walkable
10/100
Exceptionally drivable
100/100
Somewhat bikeable
30/100
Taxes foncières
| Numéro de parcelle | 091-12-0-43-06-002.00 | Évaluation des aménagements | 0 € |
| Évaluation du terrain | 3 779 € | Évaluation totale | 3 779 € |
Taxes foncières
Numéro de parcelle
091-12-0-43-06-002.00
Évaluation du terrain
3 779 €
Évaluation des aménagements
0 €
Évaluation totale
3 779 €
1 sur 3
Vidéos
Visite extérieure 3D Matterport
Visite 3D
Photos
Street view
Rue
Carte
1 sur 1
Présenté par
KECHI BUILD-TO-SUIT OPPORTUNITY | 810 E Kechi Rd
Vous êtes déjà membre ? Connectez-vous
Hum, une erreur s’est produite lors de l’envoi de votre message. Veuillez réessayer.
Merci ! Votre message a été envoyé.

