Connectez-vous/S’inscrire
Votre e-mail a été envoyé.
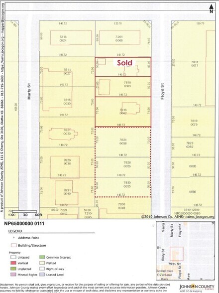
7810-7816 Floyd St Lot | Terrain commercial | 0,16 ha | À vendre | 493 281 € | Overland Park, KS 66204


Certaines informations ont été traduites automatiquement.
Résumé analytique
Opportunité de réaménagement en
Centre-ville d'Overland Park
Comprend 3 lots (175 pieds carrés x 140,72 pieds de profondeur)
5,6 acres avec la possibilité d'ajouter un
5,6 acres supplémentaires
Tous les utilitaires sur place
DFD zoné (district de forme du centre-ville)
Centre-ville d'Overland Park
Comprend 3 lots (175 pieds carrés x 140,72 pieds de profondeur)
5,6 acres avec la possibilité d'ajouter un
5,6 acres supplémentaires
Tous les utilitaires sur place
DFD zoné (district de forme du centre-ville)
Informations sur l’immeuble
1 Lot disponible
Lot
| Prix | 493 281 € | Surface du lot | 0,16 ha |
| Prix par ha | 3 047 310,95 € |
| Prix | 493 281 € |
| Prix par ha | 3 047 310,95 € |
| Surface du lot | 0,16 ha |
1 1
Moderately walkable
60/100
Moderately drivable
70/100
Limited public transit
30/100
Fairly bikeable
50/100
Taxes foncières
| N° de parcelle | Évaluation des aménagements | 37 209 € | |
| Évaluation du terrain | 55 993 € | Évaluation totale | 93 202 € |
Taxes foncières
N° de parcelle
Évaluation du terrain
55 993 €
Évaluation des aménagements
37 209 €
Évaluation totale
93 202 €
1 sur 3
Vidéos
Visite extérieure 3D Matterport
Visite 3D
Photos
Street view
Rue
Carte
1 sur 1
Présenté par
7810-7816 Floyd St
Vous êtes déjà membre ? Connectez-vous
Hum, une erreur s’est produite lors de l’envoi de votre message. Veuillez réessayer.
Merci ! Votre message a été envoyé.
