Connectez-vous/S’inscrire
Votre e-mail a été envoyé.
7212 Falls of Neuse Rd Lot | Terrain commercial | 0,17 ha | À vendre | 560 865 € | Raleigh, NC 27615


Certaines informations ont été traduites automatiquement.
Informations principales sur l'investissement
- Approximately 1.5 miles to I-540.
- 36,000 VPD on Falls of Neuse Road.
Résumé analytique
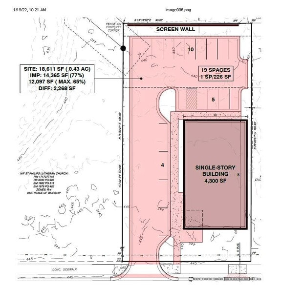
Stand-alone building located across from Ravenscroft School and next to the NC School Board Association building. This property presents a prime redevelopment opportunity with approved architectural plans to allow for a 4,300 SF single story building or an 8,600 two-story building.
Informations sur l’immeuble
1 Lot disponible
Lot
| Prix | 560 865 € | Surface du lot | 0,17 ha |
| Prix par ha | 3 223 090,23 € |
| Prix | 560 865 € |
| Prix par ha | 3 223 090,23 € |
| Surface du lot | 0,17 ha |
Land for sale
Description
Ideal North Raleigh location on Falls of Neuse Road. Surrounded by growing commercial and residential developments.
1 1
Moderately walkable
60/100
Exceptionally drivable
100/100
Limited public transit
30/100
Fairly bikeable
50/100
1 sur 3
Vidéos
Visite extérieure 3D Matterport
Visite 3D
Photos
Street view
Rue
Carte
1 sur 1
Présenté par
7212 Falls of Neuse Rd
Vous êtes déjà membre ? Connectez-vous
Hum, une erreur s’est produite lors de l’envoi de votre message. Veuillez réessayer.
Merci ! Votre message a été envoyé.
