Connectez-vous/S’inscrire
Votre e-mail a été envoyé.
Harbor Village - All Lots 7000 Gasparilla Rd Terrain commercial | À louer | 0,45–9,47 ha | Port Charlotte, FL 33981



Certaines informations ont été traduites automatiquement.
INFORMATIONS PRINCIPALES
- Dispose de plus de 1 500 pieds de façade sur le chemin McCall (776).
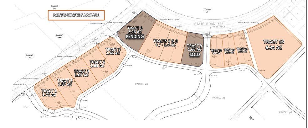
- Multiple parcels available for commercial, residential, and multifamily development ranging from ±1.1 to ±6.34 acres
- Build-to-suit and land lease options available with flexible parcel configurations
- McCall Rd/776 est une artère principale du comté de Charlotte qui permet d'accéder directement à la région côtière à l'US-41 et à l'I-75.
- Zoned CG with drainage and utility easements in place, offering streamlined development potential
- Surrounded by major retailers including Publix, Walmart, Walgreens, and RaceTrac, enhancing visibility and consumer draw
LOT DISPONIBLE
Afficher les loyers en
| Loyer |
|
Surface du lot | 0,45 – 9,47 ha |
| Durée du bail | Négociable |
| Loyer | |
| Durée du bail | Négociable |
| Surface du lot | 0,45 – 9,47 ha |
ALL LOTS AVAILABLE FOR BUILD-TO-SUIT OR LAND LEASE Tract 1: 1.71 AC Tract 2: 1.87 AC Tract 3: 1.67 AC Tract 4: 1.65 AC Tract 5: 1.46 AC Tract 6: PENDING Tracts 7 & 8: +/- 1.4 AC Tract 9: SOLD Tract 10: 1.10 AC Tract 11: 1.12 AC Tract 12: 1.16 AC Tract 13: 6.34 AC
INFORMATIONS SUR L’IMMEUBLE
1 1
1 sur 9
VIDÉOS
VISITE EXTÉRIEURE 3D MATTERPORT
VISITE 3D
PHOTOS
STREET VIEW
RUE
CARTE
1 sur 1
Présenté par
Harbor Village - All Lots | 7000 Gasparilla Rd
Vous êtes déjà membre ? Connectez-vous
Hum, une erreur s’est produite lors de l’envoi de votre message. Veuillez réessayer.
Merci ! Votre message a été envoyé.
