Votre e-mail a été envoyé.
Certaines informations ont été traduites automatiquement.
Informations principales
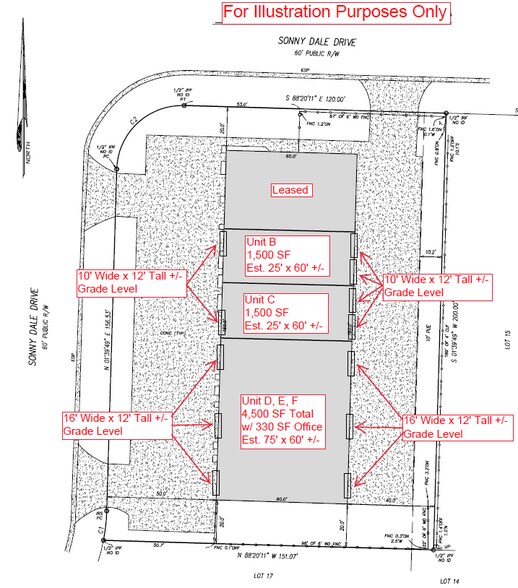
- Unit B: 1,500 SF +/-. Dimensions est. 25' x 60'. Three 10' Wide x 12' Tall +/- Grade Level Doors
- Units B and C are Contiguous. Total of 3,000 SF Available
- Est. $4.00 PSF OPEX
- Unit C: 1,500 SF +/-. Dimensions est. 25' x 60'. Three 10' Wide x 12' Tall +/- Grade Level Doors
- Clear Height Ranges 14' - 17' 8" +/-
Caractéristiques
Tous les espaces disponibles(2)
Afficher les loyers en
- Espace
- Surface
- Durée
- Loyer
- Type de bien
- Aménagement
- Disponible
Unit B is 1,500 SF +/-. Dimensions are est. 25' wide x 60' deep. There are three 10' wide x 12' tall +/- grade level doors. Concrete flooring throughout interior. Clear height ranges 15' 7" - 17' 8". Unit B (1,500 SF) can be combined with Unit C (1,500 SF). Total of 3,000 SF contiguous.
- Le loyer ne comprend pas les services publics, les frais immobiliers ou les services de l’immeuble.
- Espace en excellent état
- Dimensions est. 25' Wide x 60' Deep.
- Three 10' Wide x 12' Tall +/- Grade Level Doors
- 3 accès plain-pied
- Peut être associé à un ou plusieurs espaces supplémentaires pour obtenir jusqu’à 279 m² d’espace adjacent.
- Clear Height Ranges 15' 7" - 17' 8" +/-
- Est. $4.00 PSF OPEX
Unit C is 1,500 SF +/-. Dimensions are est. 25' x 60'. Concrete flooring and 15' 7" - 17' 8" clear height. There are three 10' wide x 12' tall +/- grade level doors. Est. $4.00 PSF OPEX. Unit C (1,500 SF) can be combined with Unit B (1,500 SF). Total of 3,000 SF available.
- Le loyer ne comprend pas les services publics, les frais immobiliers ou les services de l’immeuble.
- Espace en excellent état
- Dimensions est. 25' x 60' +/-
- Three 10' Wide x 12' Tall +/- Grade Level Doors
- 3 accès plain-pied
- Peut être associé à un ou plusieurs espaces supplémentaires pour obtenir jusqu’à 279 m² d’espace adjacent.
- Clear Height Ranges 15' 7" - 17' 8" +/-
- Est. $4.00 PSF OPEX
| Espace | Surface | Durée | Loyer | Type de bien | Aménagement | Disponible |
| 1er étage – B | 139 m² | Négociable | 114,76 € /m²/an 9,56 € /m²/mois 15 992 € /an 1 333 € /mois | Industriel/Logistique | Construction achevée | Maintenant |
| 1er étage – C | 139 m² | Négociable | 114,76 € /m²/an 9,56 € /m²/mois 15 992 € /an 1 333 € /mois | Industriel/Logistique | Construction achevée | Maintenant |
1er étage – B
| Surface |
| 139 m² |
| Durée |
| Négociable |
| Loyer |
| 114,76 € /m²/an 9,56 € /m²/mois 15 992 € /an 1 333 € /mois |
| Type de bien |
| Industriel/Logistique |
| Aménagement |
| Construction achevée |
| Disponible |
| Maintenant |
1er étage – C
| Surface |
| 139 m² |
| Durée |
| Négociable |
| Loyer |
| 114,76 € /m²/an 9,56 € /m²/mois 15 992 € /an 1 333 € /mois |
| Type de bien |
| Industriel/Logistique |
| Aménagement |
| Construction achevée |
| Disponible |
| Maintenant |
1er étage – B
| Surface | 139 m² |
| Durée | Négociable |
| Loyer | 114,76 € /m²/an |
| Type de bien | Industriel/Logistique |
| Aménagement | Construction achevée |
| Disponible | Maintenant |
Unit B is 1,500 SF +/-. Dimensions are est. 25' wide x 60' deep. There are three 10' wide x 12' tall +/- grade level doors. Concrete flooring throughout interior. Clear height ranges 15' 7" - 17' 8". Unit B (1,500 SF) can be combined with Unit C (1,500 SF). Total of 3,000 SF contiguous.
- Le loyer ne comprend pas les services publics, les frais immobiliers ou les services de l’immeuble.
- 3 accès plain-pied
- Espace en excellent état
- Peut être associé à un ou plusieurs espaces supplémentaires pour obtenir jusqu’à 279 m² d’espace adjacent.
- Dimensions est. 25' Wide x 60' Deep.
- Clear Height Ranges 15' 7" - 17' 8" +/-
- Three 10' Wide x 12' Tall +/- Grade Level Doors
- Est. $4.00 PSF OPEX
1er étage – C
| Surface | 139 m² |
| Durée | Négociable |
| Loyer | 114,76 € /m²/an |
| Type de bien | Industriel/Logistique |
| Aménagement | Construction achevée |
| Disponible | Maintenant |
Unit C is 1,500 SF +/-. Dimensions are est. 25' x 60'. Concrete flooring and 15' 7" - 17' 8" clear height. There are three 10' wide x 12' tall +/- grade level doors. Est. $4.00 PSF OPEX. Unit C (1,500 SF) can be combined with Unit B (1,500 SF). Total of 3,000 SF available.
- Le loyer ne comprend pas les services publics, les frais immobiliers ou les services de l’immeuble.
- 3 accès plain-pied
- Espace en excellent état
- Peut être associé à un ou plusieurs espaces supplémentaires pour obtenir jusqu’à 279 m² d’espace adjacent.
- Dimensions est. 25' x 60' +/-
- Clear Height Ranges 15' 7" - 17' 8" +/-
- Three 10' Wide x 12' Tall +/- Grade Level Doors
- Est. $4.00 PSF OPEX
Aperçu du bien
• Unit B: 1,500 SF +/- (25' x 60' +/-), 3 OHD's +/- 10' W x 12' H. • Unit C: 1,500 SF +/- (25' x 60' +/-), 3 OHD's +/- 10' W x 12' H. • Clear Height Ranges 14' - 17' 8" +/-. • Fenced/Paved Concrete Parking or Storage Behind Building. • City Water/Sewer, FPL Electric, Piped Underground Natural Gas on Sonny Dale. • Recent Upgrades: New Roof, Exterior Paint, Fence & More! • Est. $4.00 PSF OPEX (Includes Water/Sewer & Dumpster). • Just off of Nasa Boulevard which is the direct connector from Interstate 95 to the Melbourne International Airport. Easy access to Wickham Road, Ellis Road and US1. Nearby employers include Northrop Grumman, L3Harris, Embraer, DRS. Local amenities include restaurants, daycare, healthcare and schools. Call today for details!
Faits sur l’installation entrepôt
Présenté par
6945 Sonny Dale Dr
Hum, une erreur s’est produite lors de l’envoi de votre message. Veuillez réessayer.
Merci ! Votre message a été envoyé.








