Connectez-vous/S’inscrire
Votre e-mail a été envoyé.
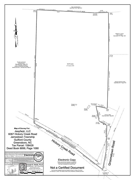
6067 Hickory Creek rd Lot | Ferme | 9,33 ha | À vendre | 689 433 € | Greensboro, NC 27407



Certaines informations ont été traduites automatiquement.
Informations principales sur l'investissement
- Large cleared acreage
- rezoning to single-family residential
- Ample road frontage
Résumé analytique
The 23+ acre tract offers significant cleared land ideal for immediate development, reducing grading and preparation costs for builders and investors. With ample road frontage, open buildable areas, and AG zoning that positions the site for future rezoning to single-family residential, the property supports multiple development paths—from creating an estate community to laying out large-lot residential homes. this site delivers rare flexibility and strong long-term growth potential in a rapidly developing Greensboro corridor.
Informations sur l’immeuble
| Prix | 689 433 € | Sous-type de bien | Ferme |
| Type de vente | Investissement ou propriétaire occupant | Usage proposé | Développement de lot unifamilial |
| Nb de lots | 1 | Surface totale du lot | 9,33 ha |
| Type de bien | Terrain | ||
| Zonage | AG - 0110-SINGLE-FAM-R RA | ||
| Prix | 689 433 € |
| Type de vente | Investissement ou propriétaire occupant |
| Nb de lots | 1 |
| Type de bien | Terrain |
| Sous-type de bien | Ferme |
| Usage proposé | Développement de lot unifamilial |
| Surface totale du lot | 9,33 ha |
| Zonage | AG - 0110-SINGLE-FAM-R RA |
1 Lot disponible
Lot
| Prix | 689 433 € | Surface du lot | 9,33 ha |
| Prix par ha | 73 877,98 € |
| Prix | 689 433 € |
| Prix par ha | 73 877,98 € |
| Surface du lot | 9,33 ha |
6067 Hickory Creek Rd offers 23+ acres of AG-zoned land in southern Greensboro with strong potential for rezoning to single-family residential, supported by surrounding rural-residential patterns and long-term land-use plans.
1 1
Not walkable
10/100
Exceptionally drivable
100/100
Somewhat bikeable
20/100
Taxes foncières
| Numéro de parcelle | 0158428 | Évaluation des aménagements | 173 € |
| Évaluation du terrain | 163 945 € | Évaluation totale | 164 118 € |
Taxes foncières
Numéro de parcelle
0158428
Évaluation du terrain
163 945 €
Évaluation des aménagements
173 €
Évaluation totale
164 118 €
1 sur 5
Vidéos
Visite extérieure 3D Matterport
Visite 3D
Photos
Street view
Rue
Carte
1 sur 1
Présenté par
6067 Hickory Creek rd
Vous êtes déjà membre ? Connectez-vous
Hum, une erreur s’est produite lors de l’envoi de votre message. Veuillez réessayer.
Merci ! Votre message a été envoyé.
