Connectez-vous/S’inscrire
Votre e-mail a été envoyé.
Claresholm 520 8 Street West St Lot | Résidentiel | 24,28 ha | À vendre | 927 416 € | Claresholm, AB T0L 0T0



Certaines informations ont été traduites automatiquement.
INFORMATIONS PRINCIPALES SUR L'INVESTISSEMENT
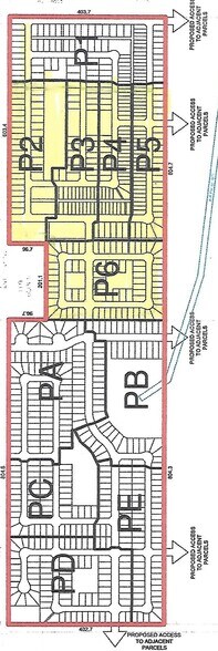
- Grand potentiel de développement ou d'investissement.
- La ville accueille favorablement le développement car il y a besoin de plus de logements.
- Les planificateurs et les ingénieurs de WSP ont effectué des travaux préliminaires sur le site.
RÉSUMÉ ANALYTIQUE
Communauté décontractée sans l'agitation de la grande ville. À un peu plus d'une demi-heure de route des magasins situés à Okotoks.
INFORMATIONS SUR L’IMMEUBLE
| Prix | 927 416 € | Type de bien | Terrain |
| Type de vente | Investissement | Sous-type de bien | Résidentiel |
| Nb de lots | 1 | Surface totale du lot | 24,28 ha |
| Prix | 927 416 € |
| Type de vente | Investissement |
| Nb de lots | 1 |
| Type de bien | Terrain |
| Sous-type de bien | Résidentiel |
| Surface totale du lot | 24,28 ha |
1 LOT DISPONIBLE
Lot
| Prix | 927 416 € | Surface du lot | 24,28 ha |
| Prix par ha | 38 194,93 € |
| Prix | 927 416 € |
| Prix par ha | 38 194,93 € |
| Surface du lot | 24,28 ha |
Cette parcelle résidentielle de 60 acres est dotée d'un plan de structure de zone approuvé.
DESCRIPTION
Claresholm est situé dans les contreforts du sud de l'Alberta. Pays d'élevage et d'agriculture où vit un champion d'équitation et de courses de tonneaux.
1 1
1 sur 4
VIDÉOS
VISITE EXTÉRIEURE 3D MATTERPORT
VISITE 3D
PHOTOS
STREET VIEW
RUE
CARTE
1 sur 1
Présenté par
Claresholm | 520 8 Street West St
Vous êtes déjà membre ? Connectez-vous
Hum, une erreur s’est produite lors de l’envoi de votre message. Veuillez réessayer.
Merci ! Votre message a été envoyé.
