Votre e-mail a été envoyé.
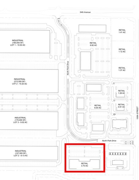
Center Pointe Retail 3.75 AC 5150 100th St Lot | Terrain commercial | 1,52 ha | À vendre | Urbandale, IA 50322


Certaines informations ont été traduites automatiquement.
INFORMATIONS PRINCIPALES SUR L'INVESTISSEMENT
- Immediate Interstate Access
 - Part of Center Pointe Business Park
 
- Nearby Retail & Medical
 
INFORMATIONS SUR L’IMMEUBLE
| Type de vente | Investissement ou propriétaire occupant | Sous-type de bien | Terrain commercial | 
| Nb de lots | 1 | Usage proposé | Commercial | 
| Type de bien | Terrain | Surface totale du lot | 1,52 ha | 
| Type de vente | Investissement ou propriétaire occupant | 
| Nb de lots | 1 | 
| Type de bien | Terrain | 
| Sous-type de bien | Terrain commercial | 
| Usage proposé | Commercial | 
| Surface totale du lot | 1,52 ha | 
1 LOT DISPONIBLE
Lot
| Surface du lot | 1,52 ha | 
| Surface du lot | 1,52 ha | 
Prime retail lot available for purchase and build, offering immediate access to the interstate. Surrounded by thriving businesses, including restaurants, medical offices, and other high-traffic amenities, perfect for your next commercial development.
DESCRIPTION
Prime retail lot available for purchase and build, offering immediate access to the interstate. Surrounded by thriving businesses, including restaurants, medical offices, and other high-traffic amenities, perfect for your next commercial development. Site plans are subject to change.
TAXES FONCIÈRES
| Numéro de parcelle | 312/00352-900-003 | Évaluation des aménagements | 0 € | 
| Évaluation du terrain | 6 678 € | Évaluation totale | 6 678 € | 
TAXES FONCIÈRES
Présenté par
		
Center Pointe Retail 3.75 AC | 5150 100th St
Hum, une erreur s’est produite lors de l’envoi de votre message. Veuillez réessayer.
Merci ! Votre message a été envoyé.

                                        
                                        