Votre e-mail a été envoyé.
White Oak District 501 Boundary St Local commercial | 129–1 739 m² | 4 étoiles | À louer | Houston, TX 77009



Certaines informations ont été traduites automatiquement.
INFORMATIONS PRINCIPALES
- $130k+ Average Household Income within 1-mile
- Consistent foot-traffic and close proximity to White Oak Music Hall
- 1,388 SF - 12,700 SF retail spaces with 16’ clear heights
- Excellent Covered Patio Options
- Dedicated surface and garage parking
- Adjacent 304-unit TEMPO at White Oak apartments, natural built-in client base
DISPONIBILITÉ DE L’ESPACE (2)
Afficher le tarif en
- ESPACE
- SURFACE
- DURÉE
- LOYER
- TYPE DE LOYER
| Espace | Surface | Durée | Loyer | Type de loyer | ||
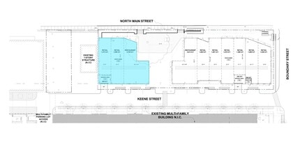
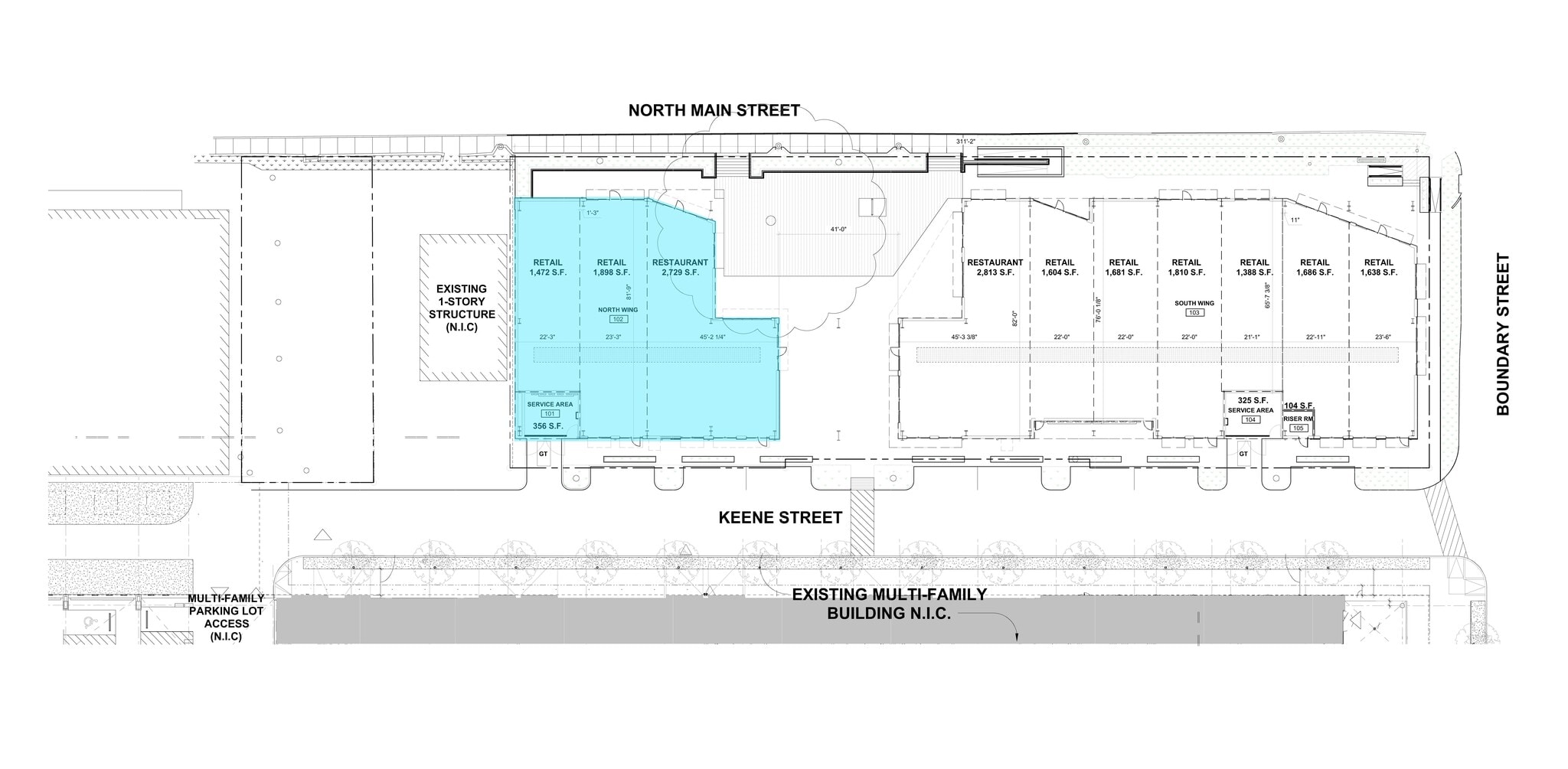
| 1er étage, bureau Building A | 137 – 567 m² | Négociable | Sur demande Sur demande Sur demande Sur demande | À déterminer | ||
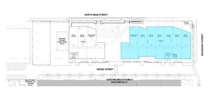
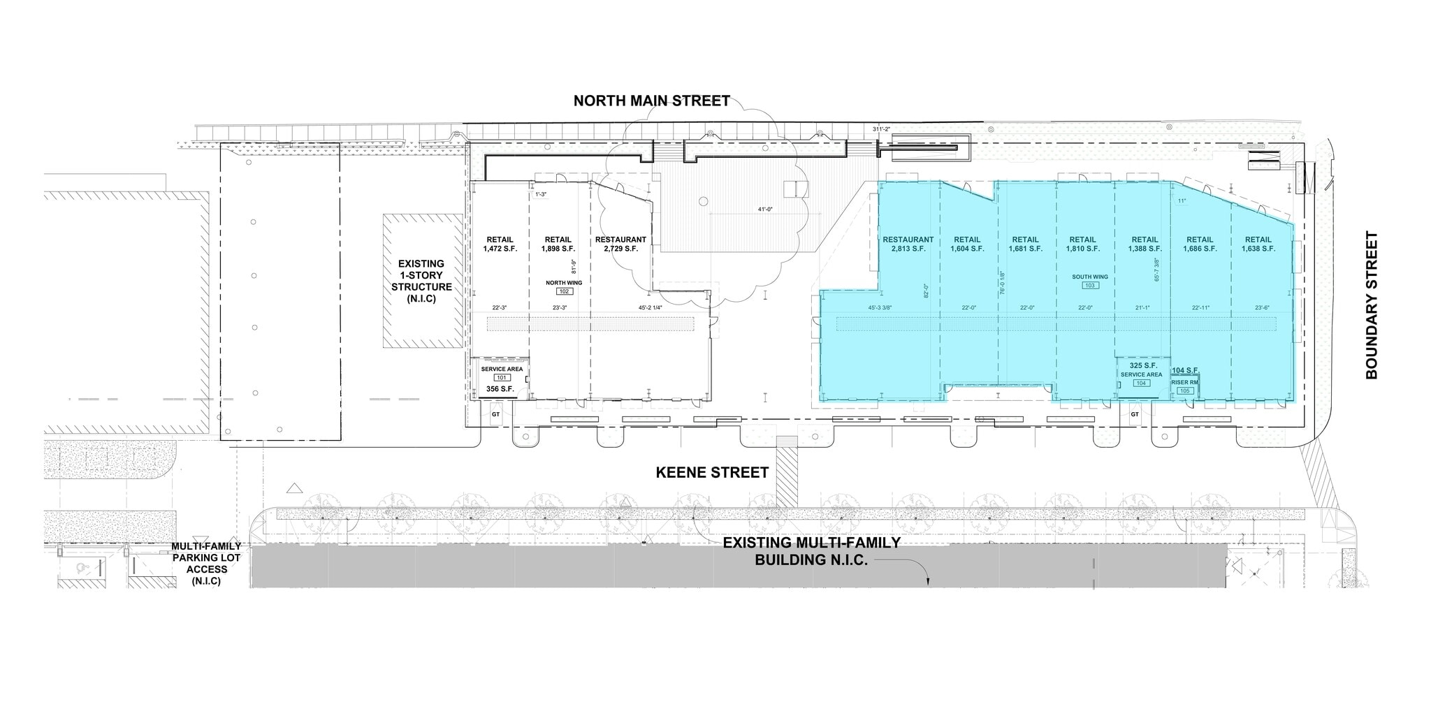
| 1er étage, bureau Building B | 129 – 1 172 m² | 5-10 Ans | Sur demande Sur demande Sur demande Sur demande | À déterminer |
1er étage, bureau Building A
Ideal location for a casual bar-heavy restaurant user who wants to utilize the inviting covered patio.
- Partiellement aménagé comme Local commercial standard
- Espace en excellent état
1er étage, bureau Building B
Suitable for restaurants, coffee shops, boutique fitness and much more. Excellent visibility on the hard corner of N Main and Boundary.
- Partiellement aménagé comme Local commercial standard
- Espace en excellent état
Types de loyers
Le montant et le type de loyer que l’occupant (locataire) est tenu de payer au propriétaire (bailleur) sur la durée du bail sont négociés avant la signature du bail par les deux parties. Le type de loyer varie selon les services fournis. Par exemple, le prix d’un loyer triple net est habituellement inférieur à celui d’un bail à service complet puisque l’occupant est tenu d’assumer des dépenses supplémentaires par rapport au loyer de base. Contacter le broker chargé de l’annonce pour bien comprendre les coûts associés ou les dépenses supplémentaires pour chaque type de loyer.
1. Service complet: Un loyer qui comprend des services d’immeuble standards normaux fournis par le propriétaire dans le cadre d’une location annuelle de base.
2. Double net (NN): L’occupant paie seulement deux des frais de l’immeuble. Le propriétaire et l’occupant déterminent ces frais spécifiques avant la signature du bail.
3. Triple net (NNN): Un bail selon lequel l’occupant est responsable de tous les frais liés à sa part proportionnelle d’occupation de l’immeuble.
4. Brut modifié: Le brut modifié est un type général de bail dans lequel l’occupant est en général responsable de sa part proportionnelle d’une ou de plusieurs dépenses. C’est le propriétaire qui paie les frais restants. Consultez la liste ci-dessous pour connaître les structures de loyers bruts modifiés les plus courantes : 4. Plus services publics: Un type de bail brut modifié, où l’occupant est responsable à hauteur de sa part proportionnelle des services publics en plus du loyer. 4. Plus nettoyage: Un type de bail brut modifié, où l’occupant est responsable à hauteur de sa part proportionnelle du nettoyage en plus du loyer. 4. Plus électricité: Un type de bail brut modifié, où l’occupant est responsable à hauteur de sa part proportionnelle du coût de la consommation électrique en plus du loyer. 4. Plus électricité et nettoyage: Un type de bail brut modifié, où l’occupant est responsable à hauteur de sa part proportionnelle du coût de la consommation électrique et du nettoyage en plus du loyer. 4. Plus services publics et charges: Un type de bail brut modifié où l’occupant est responsable à hauteur de sa part proportionnelle des services publics et du coût de nettoyage en plus du loyer. 4. Bail industriel brut: Un type de bail brut modifié dans lequel l’occupant paie un ou plusieurs des frais en plus du loyer. Le propriétaire et l’occupant déterminent ces frais spécifiques avant la signature du bail.
5. Électricité à la charge de l’occupant: Le propriétaire paie pour tous les services et l’occupant est responsable de sa propre utilisation de l’éclairage et des prises électriques dans l’espace qu’il occupe.
6. Négociable ou sur demande: Cette option est utilisée lorsque le contact de location n’indique pas le type de loyer ou de service.
7. À déterminer: À déterminer : utilisé pour les immeubles dont le type de services ou de loyer n’est pas connu, souvent quand l’immeuble n’est pas encore construit.
PLAN DU SITE
INFORMATIONS SUR L’IMMEUBLE
| Espace total disponible | 1 739 m² | Surface commerciale utile | 1 802 m² |
| Min. Divisible | 129 m² | Année de construction | 2026 |
| Type de bien | Local commercial | Statut de la construction | Avant-projet |
| Sous-type de bien | Boutique |
| Espace total disponible | 1 739 m² |
| Min. Divisible | 129 m² |
| Type de bien | Local commercial |
| Sous-type de bien | Boutique |
| Surface commerciale utile | 1 802 m² |
| Année de construction | 2026 |
| Statut de la construction | Avant-projet |
À PROPOS DU BIEN
White Oak District is a dynamic mixed-use development located at the intersection of North Main Street and Boundary Street. This spot sits just south of White Oak Music Hall, drawing from 400+ events a year and a strong late-night crowd. The area attracts a diverse and energetic crowd, providing consistent foot traffic that benefits surrounding businesses. Key highlights include: - 1,388 SF - 12,700 SF retail spaces with 16’ clear heights - Excellent Covered Patio Options - Dedicated surface and garage parking directly adjacent - Delivery Summer 2026 - Adjacent 304-unit TEMPO at White Oak apartments, excellent built-in client base - $130k+ Average Household Income within 1-mile
PRINCIPAUX COMMERCES À PROXIMITÉ
Présenté par
White Oak District | 501 Boundary St
Hum, une erreur s’est produite lors de l’envoi de votre message. Veuillez réessayer.
Merci ! Votre message a été envoyé.




