Connectez-vous/S’inscrire
Votre e-mail a été envoyé.
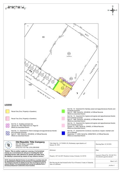
Corner Thornton Ave & Cabrillo Dr 4695 Thornton Ave Local commercial 277 m² À vendre Fremont, CA 94536 1 996 170 € (7 200,60 €/m²)



Certaines informations ont été traduites automatiquement.
Informations principales sur l'investissement
- Hard signalized corner just off I-880
- Seller financing with 20% cash down
- Mo-Mo Food Truck
- Lender owner property (REO)
- 23,000 Traffic Count
- 18,208 SF land area [3 parcels]
Résumé analytique
$200,000 PRICE REDUCTION! LENDER FORECLOSED ASSET. Rare high traffic hard corner just off 880 Freeway. Lender owned asset. 18,208 SF land area per Assessor. Parcels 501-80-79-2, 501-80-80-7 and 501-80-80-8. 23,000 Traffic County. Zoned Mixed -Use (MX). Seller financing with 20% cash down. 5.5% fixed rate. 3 year term. No prepayment penalty.
Informations sur l’immeuble
Type de vente
Investissement ou propriétaire occupant
Condition de vente
Vente du regroupement des propriétés saisies
Type de bien
Local commercial
Sous-type de bien
Surface de l’immeuble
277 m²
Classe d’immeuble
B
Année de construction
2009
Prix
1 996 170 €
Prix par m²
7 200,60 €
Occupation
Mono
Hauteur du bâtiment
1 étage
Coefficient d’occupation des sols de l’immeuble
0,16
Surface du lot
0,17 ha
Zonage
MX - Mixed Use
Stationnement
10 places (36,07 places par 1 000 m² loué)
Façade
34 m sur Thornton Ave
1 1
Fairly walkable
40/100
Exceptionally drivable
100/100
Limited public transit
30/100
Fairly bikeable
50/100
Principaux commerces à proximité
Taxes foncières
| Numéro de parcelle | 501-0080-079-02 | Évaluation des aménagements | 235 479 € |
| Évaluation du terrain | 122 685 € | Évaluation totale | 358 164 € |
Taxes foncières
Numéro de parcelle
501-0080-079-02
Évaluation du terrain
122 685 €
Évaluation des aménagements
235 479 €
Évaluation totale
358 164 €
1 sur 5
Vidéos
Visite extérieure 3D Matterport
Visite 3D
Photos
Street view
Rue
Carte
1 sur 1
Présenté par
Milestone Financial LLC
Corner Thornton Ave & Cabrillo Dr | 4695 Thornton Ave
Vous êtes déjà membre ? Connectez-vous
Hum, une erreur s’est produite lors de l’envoi de votre message. Veuillez réessayer.
Merci ! Votre message a été envoyé.
