Votre e-mail a été envoyé.
Certaines informations ont été traduites automatiquement.
Informations principales sur l'investissement
- Highly visible corner parcel positioned within Indio’s active growth corridor.
- Excellent access to Highway 111 and major regional thoroughfares.
- Surrounded by ongoing commercial expansion in a fast-growing city.
- Versatile MPDO-Hwy111SP zoning supports a broad mix of commercial uses.
- Level, usable land ideal for efficient development planning.
- Strong demographics with high average household incomes in the trade area.
Résumé analytique
Informations sur l’immeuble
1 Lot disponible
Lot
| Prix | 733 353 € | Surface du lot | 0,68 ha |
| Prix par ha | 1 072 281,19 € |
| Prix | 733 353 € |
| Prix par ha | 1 072 281,19 € |
| Surface du lot | 0,68 ha |
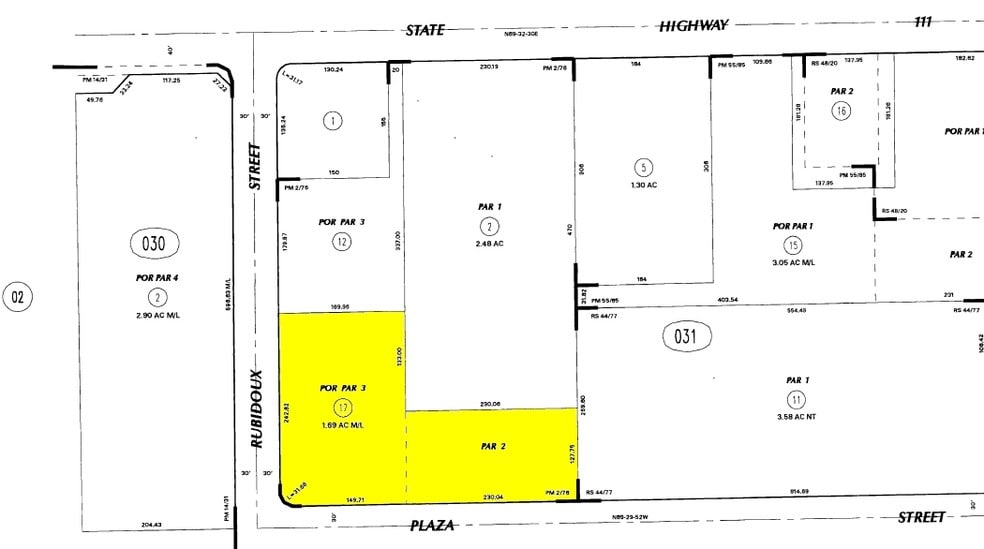
A 1.69-acre commercial parcel at Rubidoux St. and Plaza Ave. in central Indio, offering versatile MPDO-Hwy111SP zoning, strong visibility, level terrain, and excellent proximity to Highway 111 and major commercial corridors.
Description
The Rubidoux Street parcel is a well-located 1.69-acre commercial development opportunity in the core of Indio, California. The property benefits from its placement just south of Highway 111 and east of Monroe Street, two of the city’s most active commercial routes. The surrounding area features a strong mix of retail, industrial, and service-based businesses, reinforcing the site’s strategic position within an established and growing commercial node. Indio is recognized as one of the fastest-growing cities in California, supported by a robust population base, rising household incomes, and consistent economic expansion. The land itself is level and highly usable, providing an ideal foundation for a wide range of development concepts permitted under MPDO-Hwy111SP zoning. Its proximity to major arterials ensures excellent connectivity and visibility, while the surrounding commercial momentum underscores the long-term value potential of the site. This property delivers an adaptable and well-situated opportunity within a thriving regional market.
Taxes foncières
| Numéro de parcelle | 614-031-017 | Évaluation des aménagements | 0 € |
| Évaluation du terrain | 311 109 € | Évaluation totale | 311 109 € |
Taxes foncières
Présenté par
46100 Rubidoux St
Hum, une erreur s’est produite lors de l’envoi de votre message. Veuillez réessayer.
Merci ! Votre message a été envoyé.



