Connectez-vous/S’inscrire
Votre e-mail a été envoyé.
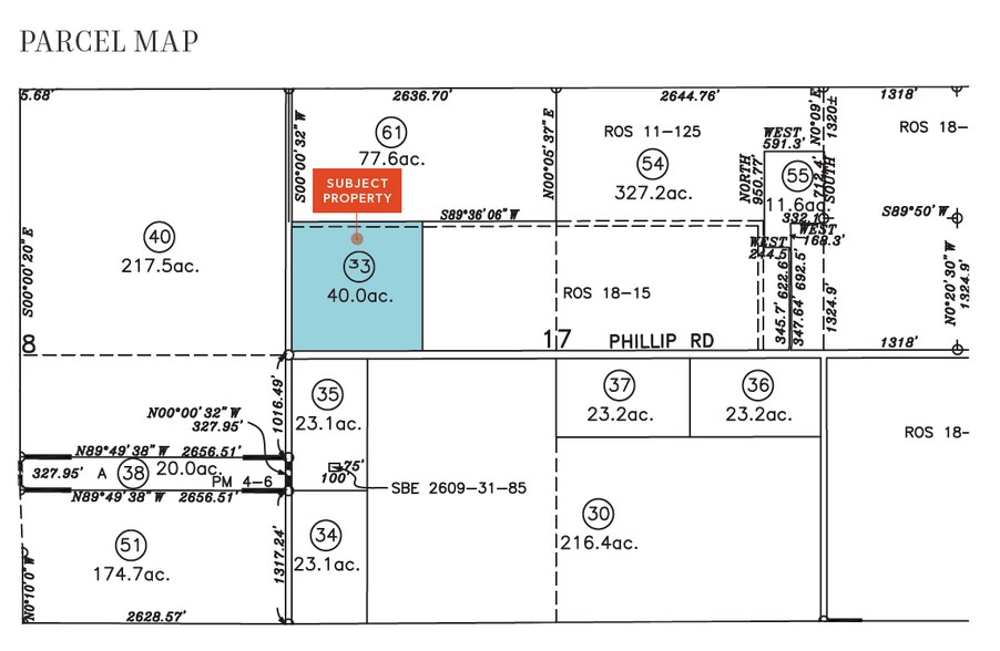
40ac with SFR 4485 S Brewer Rd Lot | Ferme | 16,19 ha | À vendre | 2 555 910 € | Pleasant Grove, CA 95668


Certaines informations ont été traduites automatiquement.
INFORMATIONS PRINCIPALES SUR L'INVESTISSEMENT
- ±40 Acre Square Parcel
- SFR onsite
- In path of growth for Placer County
RÉSUMÉ ANALYTIQUE
±40 Acre parcel for sale with single-family home. Not in Williamson Act.
INFORMATIONS SUR L’IMMEUBLE
1 LOT DISPONIBLE
Lot
| Prix | 2 555 910 € | Surface du lot | 16,19 ha |
| Prix par ha | 157 894,78 € |
| Prix | 2 555 910 € |
| Prix par ha | 157 894,78 € |
| Surface du lot | 16,19 ha |
Square parcel ±40 AC total
1 1
TAXES FONCIÈRES
| Numéro de parcelle | 017-090-033 | Évaluation des aménagements | 57 063 € |
| Évaluation du terrain | 713 406 € | Évaluation totale | 770 470 € |
TAXES FONCIÈRES
Numéro de parcelle
017-090-033
Évaluation du terrain
713 406 €
Évaluation des aménagements
57 063 €
Évaluation totale
770 470 €
1 sur 3
VIDÉOS
VISITE EXTÉRIEURE 3D MATTERPORT
VISITE 3D
PHOTOS
STREET VIEW
RUE
CARTE
1 sur 1
Présenté par
40ac with SFR | 4485 S Brewer Rd
Vous êtes déjà membre ? Connectez-vous
Hum, une erreur s’est produite lors de l’envoi de votre message. Veuillez réessayer.
Merci ! Votre message a été envoyé.
