Votre e-mail a été envoyé.
Hillcrest Shopping Center 421 S Route 73 Espace disponible | 418 m² | Bureaux/Local commercial | Berlin, NJ 08009



Certaines informations ont été traduites automatiquement.
Informations principales
- Positioned on Route 73 with high traffic visibility.
- Monument and storefront signage available.
- Strong demographics with over 108K residents within 5 miles.
- Surrounded by national retailers including Walmart and Home Depot.
- Easy access via jug handle and proximity to Route 30.
Disponibilité de l’espace (1)
Afficher le tarif en
- Espace
- Surface
- Durée
- Loyer
- Type de loyer
| Espace | Surface | Durée | Loyer | Type de loyer | ||
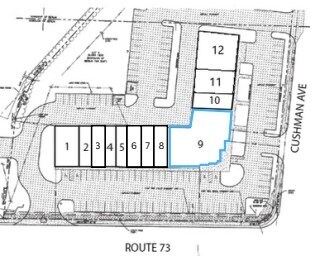
| 1er étage, bureau 9 | 418 m² | 3-20 Ans | Sur demande Sur demande Sur demande Sur demande | À déterminer |
421 S Route 73 - 1er étage – Bureau 9
Positioned along the highly trafficked Route 73 corridor in Berlin, NJ, Hillcrest Plaza offers a prime leasing opportunity for retail, restaurant, or office users seeking visibility and accessibility. Suite 9, a 4,500 SF space, features prominent storefront and monument signage, ensuring strong brand exposure to passing traffic. The site benefits from dual access via a nearby jug handle, enhancing ingress and egress for customers and employees alike. Surrounded by national retailers including Home Depot, Walmart, ShopRite, and Chick-fil-A, the plaza sits within a vibrant commercial hub that draws consistent consumer activity. Its proximity to White Horse Pike (Route 30) further connects the property to regional thoroughfares and neighboring communities. The area’s demographics support strong retail performance, with over 108,000 residents and average household incomes exceeding $115,000 within a 5-mile radius. This location is ideal for tenants looking to capitalize on high visibility, strong co-tenancy, and a well-established retail corridor in Camden County. Whether launching a new concept or expanding an existing brand, Hillcrest Plaza delivers the infrastructure and market dynamics to support long-term success.
- Partiellement aménagé comme Local commercial standard
- Principalement open space
Types de loyers
Le montant et le type de loyer que l’occupant (locataire) est tenu de payer au propriétaire (bailleur) sur la durée du bail sont négociés avant la signature du bail par les deux parties. Le type de loyer varie selon les services fournis. Par exemple, le prix d’un loyer triple net est habituellement inférieur à celui d’un bail à service complet puisque l’occupant est tenu d’assumer des dépenses supplémentaires par rapport au loyer de base. Contacter le broker chargé de l’annonce pour bien comprendre les coûts associés ou les dépenses supplémentaires pour chaque type de loyer.
1. Service complet: Un loyer qui comprend des services d’immeuble standards normaux fournis par le propriétaire dans le cadre d’une location annuelle de base.
2. Double net (NN): L’occupant paie seulement deux des frais de l’immeuble. Le propriétaire et l’occupant déterminent ces frais spécifiques avant la signature du bail.
3. Triple net (NNN): Un bail selon lequel l’occupant est responsable de tous les frais liés à sa part proportionnelle d’occupation de l’immeuble.
4. Brut modifié: Le brut modifié est un type général de bail dans lequel l’occupant est en général responsable de sa part proportionnelle d’une ou de plusieurs dépenses. C’est le propriétaire qui paie les frais restants. Consultez la liste ci-dessous pour connaître les structures de loyers bruts modifiés les plus courantes : 4. Plus services publics: Un type de bail brut modifié, où l’occupant est responsable à hauteur de sa part proportionnelle des services publics en plus du loyer. 4. Plus nettoyage: Un type de bail brut modifié, où l’occupant est responsable à hauteur de sa part proportionnelle du nettoyage en plus du loyer. 4. Plus électricité: Un type de bail brut modifié, où l’occupant est responsable à hauteur de sa part proportionnelle du coût de la consommation électrique en plus du loyer. 4. Plus électricité et nettoyage: Un type de bail brut modifié, où l’occupant est responsable à hauteur de sa part proportionnelle du coût de la consommation électrique et du nettoyage en plus du loyer. 4. Plus services publics et charges: Un type de bail brut modifié où l’occupant est responsable à hauteur de sa part proportionnelle des services publics et du coût de nettoyage en plus du loyer. 4. Bail industriel brut: Un type de bail brut modifié dans lequel l’occupant paie un ou plusieurs des frais en plus du loyer. Le propriétaire et l’occupant déterminent ces frais spécifiques avant la signature du bail.
5. Électricité à la charge de l’occupant: Le propriétaire paie pour tous les services et l’occupant est responsable de sa propre utilisation de l’éclairage et des prises électriques dans l’espace qu’il occupe.
6. Négociable ou sur demande: Cette option est utilisée lorsque le contact de location n’indique pas le type de loyer ou de service.
7. À déterminer: À déterminer : utilisé pour les immeubles dont le type de services ou de loyer n’est pas connu, souvent quand l’immeuble n’est pas encore construit.
Plan du site
Sélectionner des occupants à Hillcrest Shopping Center
- Occupant
- Description
- US localisations
- Couverture
- Cedar Brook Dance Academy
- Services éducatifs
- 1
- -
- Fastenal
- Autres services
- 2 044
- International
- Raceway Bagels
- Beignerie
- 1
- -
- The Print Parlor
- -
- 1
- -
| Occupant | Description | US localisations | Couverture |
| Cedar Brook Dance Academy | Services éducatifs | 1 | - |
| Fastenal | Autres services | 2 044 | International |
| Raceway Bagels | Beignerie | 1 | - |
| The Print Parlor | - | 1 | - |
Informations sur l’immeuble
Caractéristiques
- Enseigne sur pylône
Principaux commerces à proximité
Présenté par
Hillcrest Shopping Center | 421 S Route 73
Hum, une erreur s’est produite lors de l’envoi de votre message. Veuillez réessayer.
Merci ! Votre message a été envoyé.
