Connectez-vous/S’inscrire
Votre e-mail a été envoyé.
Certaines informations ont été traduites automatiquement.
Résumé analytique
The subject property is located at 3924 S. Dogwood Ave in El Centro, CA. It is less than one mile south of I-8, approximately 4 miles south of downtown El Centro, and approximately 8 miles north of the border.
The subject property consists of approximately 14 acres within the City of El Centro. The property was recently annexed into the City and now has a zoning and land use designation of multi-family residential. The subject property has potential for a 350-unit apartment building just north of the border
The subject property consists of approximately 14 acres within the City of El Centro. The property was recently annexed into the City and now has a zoning and land use designation of multi-family residential. The subject property has potential for a 350-unit apartment building just north of the border
Informations sur l’immeuble
1 Lot disponible
Lot
| Prix | 1 617 881 € | Surface du lot | 5,67 ha |
| Prix par ha | 285 562,25 € |
| Prix | 1 617 881 € |
| Prix par ha | 285 562,25 € |
| Surface du lot | 5,67 ha |
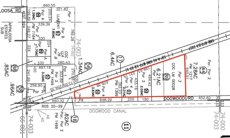
054-390-089 6.21 Acres 054-390-050 1.94 Acres 054-390-051 2.01 Acres 054-390-052 3.83 Acres TOTAL 13.99 Acres
1 1
Fairly walkable
40/100
Exceptionally drivable
100/100
Somewhat bikeable
30/100
Taxes foncières
| N° de parcelle | Évaluation des aménagements | 333 422 € | |
| Évaluation du terrain | 65 484 € | Évaluation totale | 398 907 € |
Taxes foncières
N° de parcelle
Évaluation du terrain
65 484 €
Évaluation des aménagements
333 422 €
Évaluation totale
398 907 €
1 sur 4
Vidéos
Visite extérieure 3D Matterport
Visite 3D
Photos
Street view
Rue
Carte
1 sur 1
Présenté par
3924 S Dogwood Rd
Vous êtes déjà membre ? Connectez-vous
Hum, une erreur s’est produite lors de l’envoi de votre message. Veuillez réessayer.
Merci ! Votre message a été envoyé.




