Connectez-vous/S’inscrire
Votre e-mail a été envoyé.
Ocean View Restaurant - All FF&E Included 39080 S Highway 1 Local commercial 242 m² À vendre Gualala, CA 95445 1 021 560 € (4 229,22 €/m²)


Certaines informations ont été traduites automatiquement.
INFORMATIONS PRINCIPALES SUR L'INVESTISSEMENT
- Beautiful Ocean View Double Lot
- Turn-Key Restaurant Operation
- Fully Equipped Kitchen Ready for Immediate Occupancy
- High Visibility Location Fronting on Highway 1
INFORMATIONS SUR L’IMMEUBLE
Type de vente
Investissement ou propriétaire occupant
Type de bien
Local commercial
Sous-type de bien
Surface de l’immeuble
242 m²
Classe d’immeuble
C
Année de construction
1960
Prix
1 021 560 €
Prix par m²
4 229,22 €
Occupation
Mono
Hauteur du bâtiment
1 étage
Coefficient d’occupation des sols de l’immeuble
0,10
Surface du lot
0,23 ha
Zonage
GVMU:6K
Stationnement
22 places (91,08 places par 1 000 m² loué)
Façade
34 m sur South Highway 1
CARACTÉRISTIQUES
- Terrain d’angle
- Restaurant
- Signalisation
1 1
TAXES FONCIÈRES
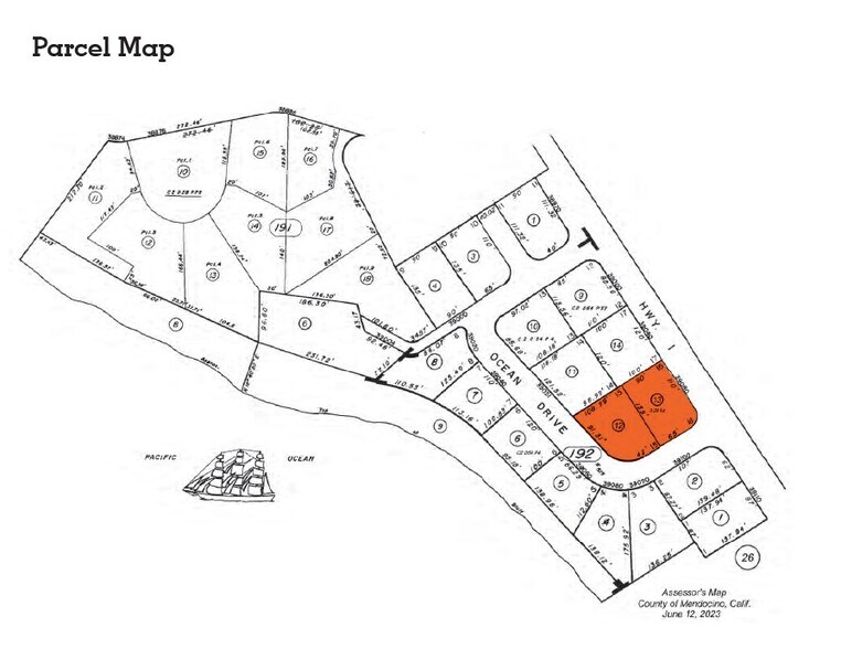
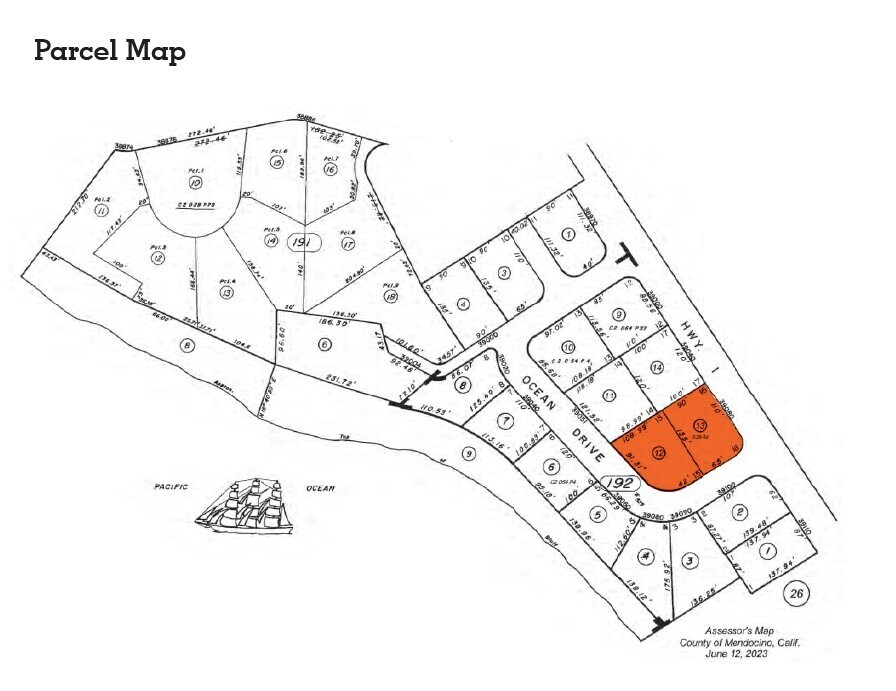
| Numéro de parcelle | 145-192-13-00 | Évaluation des aménagements | 230 369 € |
| Évaluation du terrain | 230 369 € | Évaluation totale | 460 737 € |
TAXES FONCIÈRES
Numéro de parcelle
145-192-13-00
Évaluation du terrain
230 369 €
Évaluation des aménagements
230 369 €
Évaluation totale
460 737 €
1 sur 3
VIDÉOS
VISITE EXTÉRIEURE 3D MATTERPORT
VISITE 3D
PHOTOS
STREET VIEW
RUE
CARTE
1 sur 1
Présenté par
Ocean View Restaurant - All FF&E Included | 39080 S Highway 1
Vous êtes déjà membre ? Connectez-vous
Hum, une erreur s’est produite lors de l’envoi de votre message. Veuillez réessayer.
Merci ! Votre message a été envoyé.
