Connectez-vous/S’inscrire
Votre e-mail a été envoyé.
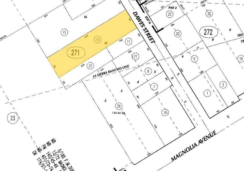
R-3 3868 Dawes St Lot | Terrain commercial | 0,41 ha | À vendre | 1 897 918 € | Riverside, CA 92503



Certaines informations ont été traduites automatiquement.
INFORMATIONS PRINCIPALES SUR L'INVESTISSEMENT
- Close proximity to shopping and transit facilities
- Minutes away from 91 FWY
RÉSUMÉ ANALYTIQUE
The subject property is a parcel of land suitable for development of multiple family residential use. County records indicate APNs 145-271-011 & 022 are in conjunction with APN 145-271-014 having a combined total land area of 43995 square feet. The subject property is zoned R4, high-density, which allows up to 40 dwelling units per acre. The Seller has obtained Site Plan approval for 36-unit condo project with 36 parking stalls and 7 guest parking stalls. The Site Plan can be modified & redesigned for your own individual architecture configuration. The subject property was recently appraised by one of the top Commercial Real Estate appraisers in Riverside, Curtis Rosenthal Inc & Associates an accredited MAI/FRICS appraiser with an evaluation of $2,420,000.00. This appraisal is land value as the small dwelling would be a tear down. The subject property is listed $220,000.00 below appraised value. Both the Site Plan and appraisal will be available upon request.
INFORMATIONS SUR L’IMMEUBLE
| Prix | 1 897 918 € | Sous-type de bien | Terrain commercial |
| Type de vente | Investissement | Usage proposé | |
| Nb de lots | 1 | Surface totale du lot | 0,41 ha |
| Type de bien | Terrain |
| Prix | 1 897 918 € |
| Type de vente | Investissement |
| Nb de lots | 1 |
| Type de bien | Terrain |
| Sous-type de bien | Terrain commercial |
| Usage proposé | |
| Surface totale du lot | 0,41 ha |
1 LOT DISPONIBLE
Lot
| Prix | 1 897 918 € | Surface du lot | 0,41 ha |
| Prix par ha | 4 643 381,76 € |
| Prix | 1 897 918 € |
| Prix par ha | 4 643 381,76 € |
| Surface du lot | 0,41 ha |
The subject property is in an exceptional location just minutes away from the Tyler Mall Galleria and other shopping and transit facilities. The subject property is minutes from the 91FWY. (Location Location Location)
1 1
Walk Score®
Très praticable à pied (78)
1 sur 5
VIDÉOS
VISITE EXTÉRIEURE 3D MATTERPORT
VISITE 3D
PHOTOS
STREET VIEW
RUE
CARTE
1 sur 1
Présenté par
THOMAS J CALVA BROKER
R-3 | 3868 Dawes St
Vous êtes déjà membre ? Connectez-vous
Hum, une erreur s’est produite lors de l’envoi de votre message. Veuillez réessayer.
Merci ! Votre message a été envoyé.
