Connectez-vous/S’inscrire
Votre e-mail a été envoyé.
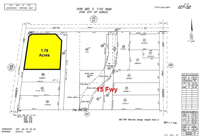
Commercial Development Site in Norco CA 3361 Hamner Ave Terrain commercial | À louer | 0,72 ha | Norco, CA 92860



Certaines informations ont été traduites automatiquement.
INFORMATIONS PRINCIPALES
- Signalized Intersection - visible from I-15 freeway
- Easy access to I-15 freeway at 6th street
- Pads for Lease Retail, Restaurants, Coffee, Fast Food
LOT DISPONIBLE
Afficher les loyers en
| Loyer |
|
Surface du lot | 0,72 ha |
| Durée du bail | 10 Ans |
| Loyer | |
| Durée du bail | 10 Ans |
| Surface du lot | 0,72 ha |
SEC 5th Street & Hamner Ave.High visibility and easy access Pads For Lease - Retail, Restaurants, Coffee, Fast Food, EV Charging and more Clear Visibility from I-15 Freeway Signalized Corner on the way to the I-15 freeway on and off ramps at 6th Street Adjacent to Marriott and Hilton hotels, restaurants, and retail
APERÇU DU BIEN
1.78 acres of high-profile retail land in Norco, CA Retail Pads Available for Lease Prime location for Restaurants, Fast Food, Coffee, EV Charging Signalized intersection at 5th St. & Hamner Ave. Visibility from I-15 freeway Easy access to I-15 Freeway at 6th St
INFORMATIONS SUR L’IMMEUBLE
CARACTÉRISTIQUES
- Visibilité de l’autoroute
1 1
1 sur 5
VIDÉOS
VISITE EXTÉRIEURE 3D MATTERPORT
VISITE 3D
PHOTOS
STREET VIEW
RUE
CARTE
1 sur 1
Présenté par
Commercial Development Site in Norco CA | 3361 Hamner Ave
Vous êtes déjà membre ? Connectez-vous
Hum, une erreur s’est produite lors de l’envoi de votre message. Veuillez réessayer.
Merci ! Votre message a été envoyé.

