Connectez-vous/S’inscrire
Votre e-mail a été envoyé.
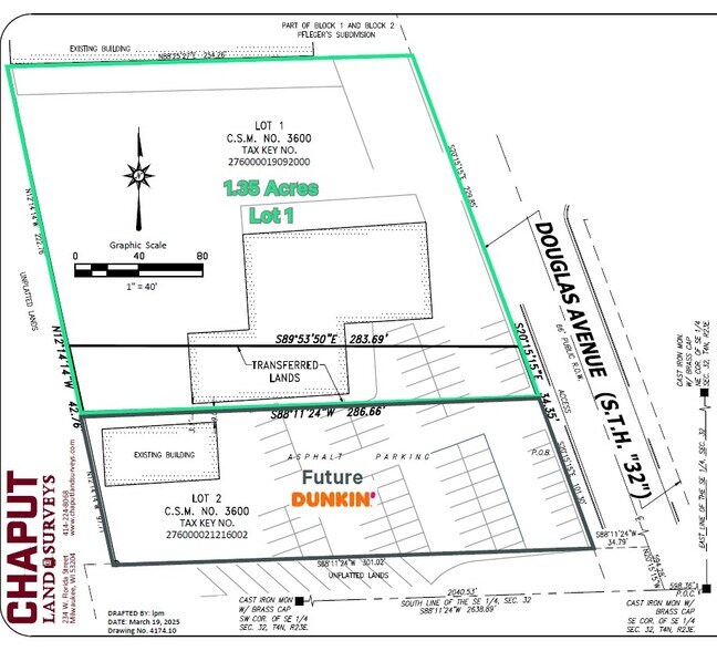
Redevelopment Opportunity 3108 Douglas Ave Local commercial 1 051 m² À vendre Racine, WI 53402 753 993 € (717,21 €/m²)



Certaines informations ont été traduites automatiquement.
INFORMATIONS PRINCIPALES SUR L'INVESTISSEMENT
- Great Redevelopment Opportunity!
- 229' of frontage on Douglas Ave
RÉSUMÉ ANALYTIQUE
Great former automotive repair facility for sale with possibility of redevelopment site. Space has multiple drive-in doors and great utilities. The property is situated in between Aldi and a future Dunkin'. Adjacent parcel sold for future Dunkin!
+Address: 3108 Douglas Ave, Racine, WI 53402 (Lot 1 of CSM)
+Price: $885,000
+Building Size: 11,316 sq. ft.
+Lot Size: 1.35 acre
+Dimensions: 229.85’ x 254’
+Access: (2) curbs cuts currently
+Zoning: B-2 Community Shopping District
+Address: 3108 Douglas Ave, Racine, WI 53402 (Lot 1 of CSM)
+Price: $885,000
+Building Size: 11,316 sq. ft.
+Lot Size: 1.35 acre
+Dimensions: 229.85’ x 254’
+Access: (2) curbs cuts currently
+Zoning: B-2 Community Shopping District
INFORMATIONS SUR L’IMMEUBLE
Type de vente
Investissement ou propriétaire occupant
Condition de vente
Projet de requalification
Type de bien
Local commercial
Surface de l’immeuble
1 051 m²
Classe d’immeuble
C
Année de construction
1950
Prix
753 993 €
Prix par m²
717,21 €
Occupation
Mono
Hauteur du bâtiment
1 étage
Coefficient d’occupation des sols de l’immeuble
0,19
Surface du lot
0,55 ha
Zonage
B2 - Community Shopping District
Façade
19 m sur Douglas Ave
CARACTÉRISTIQUES
- Ligne d’autobus
- Enseigne sur pylône
PRINCIPAUX COMMERCES À PROXIMITÉ
TAXES FONCIÈRES
| Numéro de parcelle | 276-000019092000 | Évaluation des aménagements | 166 645 € |
| Évaluation du terrain | 93 206 € | Évaluation totale | 259 851 € |
TAXES FONCIÈRES
Numéro de parcelle
276-000019092000
Évaluation du terrain
93 206 €
Évaluation des aménagements
166 645 €
Évaluation totale
259 851 €
1 sur 4
VIDÉOS
VISITE EXTÉRIEURE 3D MATTERPORT
VISITE 3D
PHOTOS
STREET VIEW
RUE
CARTE
1 sur 1
Présenté par
Redevelopment Opportunity | 3108 Douglas Ave
Vous êtes déjà membre ? Connectez-vous
Hum, une erreur s’est produite lors de l’envoi de votre message. Veuillez réessayer.
Merci ! Votre message a été envoyé.

