Connectez-vous/S’inscrire
Votre e-mail a été envoyé.
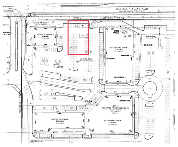
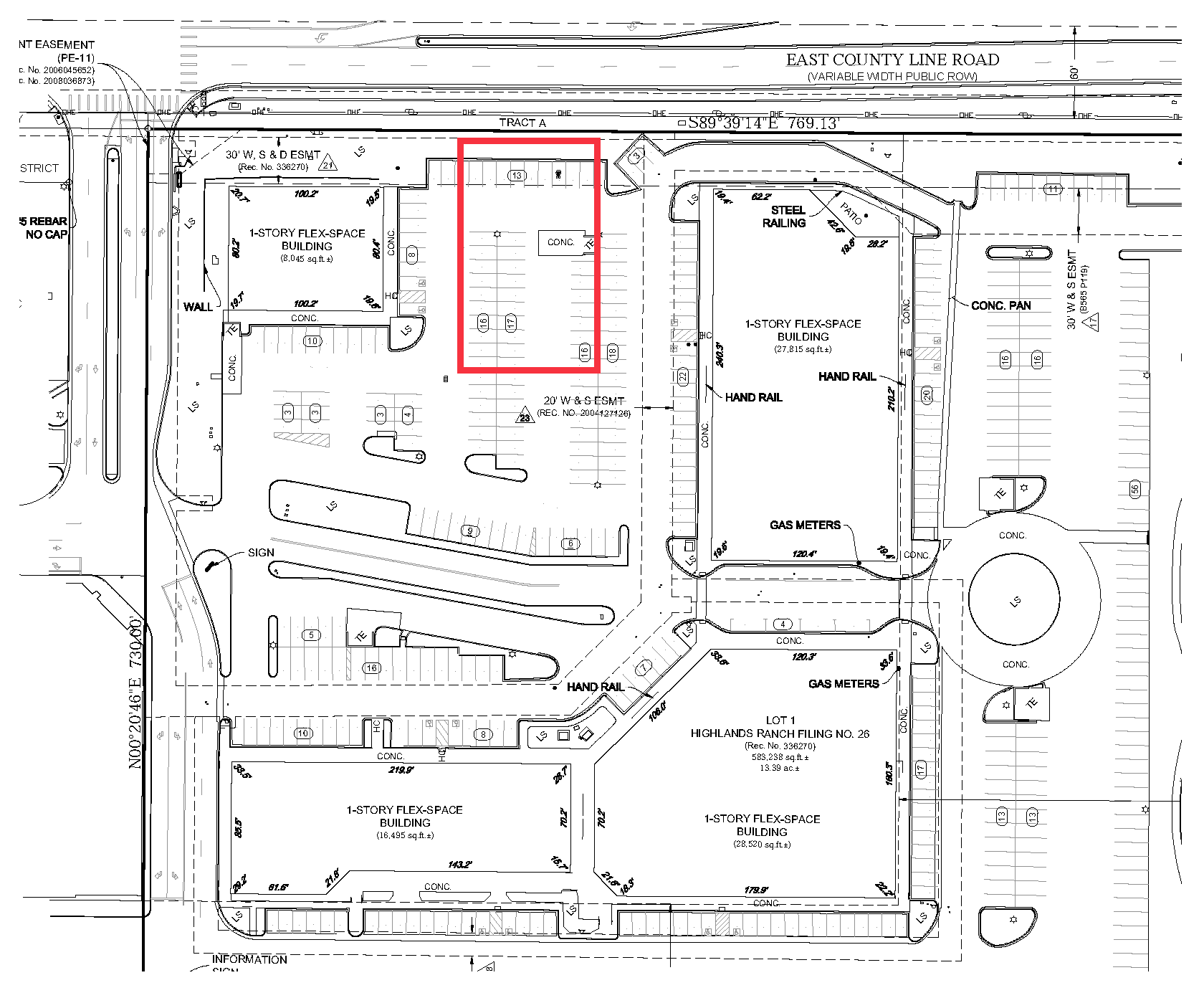
2660 E County Line Rd Terrain commercial | À louer | 0,14 ha | Highlands Ranch, CO 80126

Certaines informations ont été traduites automatiquement.
LOT DISPONIBLE
Afficher les loyers en
| Loyer |
|
Surface du lot | 0,14 ha |
| Durée du bail | Négociable |
| Loyer | |
| Durée du bail | Négociable |
| Surface du lot | 0,14 ha |
$85,000/ Year • Pad available for Ground Lease only • Prominent frontage along Count Line (20,000 VPD)
INFORMATIONS SUR L’IMMEUBLE
| Espace total disponible | 0,14 ha | Sous-type de bien | Terrain commercial |
| Type de bien | Terrain |
| Espace total disponible | 0,14 ha |
| Type de bien | Terrain |
| Sous-type de bien | Terrain commercial |
1 1
Walk Score®
Très praticable à pied (73)
1 sur 2
VIDÉOS
VISITE EXTÉRIEURE 3D MATTERPORT
VISITE 3D
PHOTOS
STREET VIEW
RUE
CARTE
1 sur 1
Présenté par
2660 E County Line Rd
Vous êtes déjà membre ? Connectez-vous
Hum, une erreur s’est produite lors de l’envoi de votre message. Veuillez réessayer.
Merci ! Votre message a été envoyé.
