Connectez-vous/S’inscrire
Votre e-mail a été envoyé.
Lot 4 2601 N Rockwell Ave Lot | Terrain commercial | 0,67 ha | À vendre | 239 437 € | Bethany, OK 73008



Certaines informations ont été traduites automatiquement.
INFORMATIONS PRINCIPALES SUR L'INVESTISSEMENT
- Zoné à des fins commerciales
- Accès facile
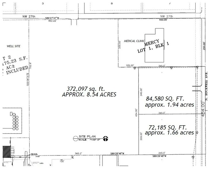
- 209' de façade
- À proximité de l'angle de Rockwell et de la 23e
INFORMATIONS SUR L’IMMEUBLE
| Prix | 239 437 € | Sous-type de bien | Terrain commercial |
| Type de vente | Investissement | Usage proposé | Commercial |
| Nb de lots | 1 | Surface totale du lot | 0,67 ha |
| Type de bien | Terrain | ||
| Zonage | C-G - Commercial général | ||
| Prix | 239 437 € |
| Type de vente | Investissement |
| Nb de lots | 1 |
| Type de bien | Terrain |
| Sous-type de bien | Terrain commercial |
| Usage proposé | Commercial |
| Surface totale du lot | 0,67 ha |
| Zonage | C-G - Commercial général |
1 LOT DISPONIBLE
Lot 4
| Prix | 239 437 € | Surface du lot | 0,67 ha |
| Prix par ha | 356 422,71 € |
| Prix | 239 437 € |
| Prix par ha | 356 422,71 € |
| Surface du lot | 0,67 ha |
Terrain de 1,66 AC à vendre le long de Rockwell. Le lot est actuellement zoné à des fins commerciales et peut être combiné avec le lot adjacent de 8,54 AC zoné R-2. Création d'un accès à Rockwell pour un développement à plus grande échelle.
DESCRIPTION
Situé le long de l'avenue N Rockwell à Bethany, ce lot est réservé à un usage commercial. Situé directement au nord de Cash Saver et au sud de la clinique Mercy, ce terrain se positionne bien pour de multiples opportunités de développement.
1 1
1 sur 4
VIDÉOS
VISITE EXTÉRIEURE 3D MATTERPORT
VISITE 3D
PHOTOS
STREET VIEW
RUE
CARTE
1 sur 1
Présenté par
Lot 4 | 2601 N Rockwell Ave
Vous êtes déjà membre ? Connectez-vous
Hum, une erreur s’est produite lors de l’envoi de votre message. Veuillez réessayer.
Merci ! Votre message a été envoyé.
