Connectez-vous/S’inscrire
Votre e-mail a été envoyé.
Grayling Town Center Development Pad 2252 I-75BL Lot | Terrain commercial | 1,42 ha | À vendre | Grayling, MI 49738



Certaines informations ont été traduites automatiquement.
RÉSUMÉ ANALYTIQUE
À vendre ou à construire sur mesure
Contactez le courtier pour plus de détails
Contactez le courtier pour plus de détails
INFORMATIONS SUR L’IMMEUBLE
| Type de vente | Investissement | Sous-type de bien | Terrain commercial |
| Nb de lots | 1 | Usage proposé | Commercial |
| Type de bien | Terrain | Surface totale du lot | 1,42 ha |
| Zonage | Commercial - District zoné commercial | ||
| Type de vente | Investissement |
| Nb de lots | 1 |
| Type de bien | Terrain |
| Sous-type de bien | Terrain commercial |
| Usage proposé | Commercial |
| Surface totale du lot | 1,42 ha |
| Zonage | Commercial - District zoné commercial |
1 LOT DISPONIBLE
Lot
| Surface du lot | 1,42 ha |
| Surface du lot | 1,42 ha |
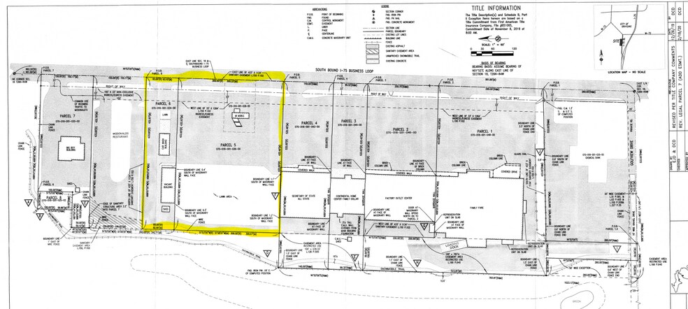
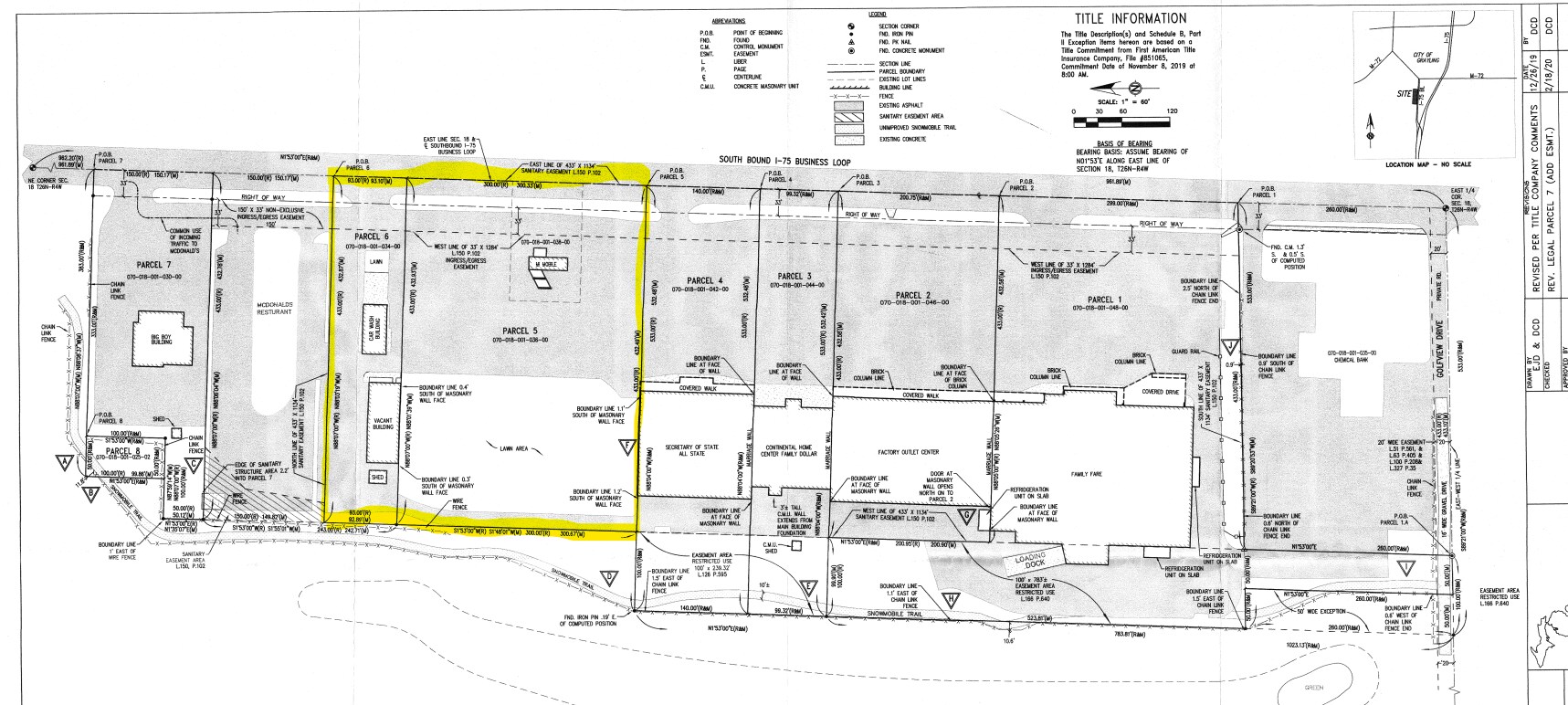
~3,5 hectares Colis 070-018-001-036-00 et 070-018-034-00 Zoné C3B - Commercial général - South Town Le terrain est adjacent au centre-ville de Grayling. Les locataires incluent Family Fare, Advance Auto Parts, Goodwill of Northern of Michigan et l'État du Michigan.
DESCRIPTION
À vendre ou à construire sur mesure
1 1
1 sur 6
VIDÉOS
VISITE EXTÉRIEURE 3D MATTERPORT
VISITE 3D
PHOTOS
STREET VIEW
RUE
CARTE
1 sur 1
Présenté par
Grayling Town Center Development Pad | 2252 I-75BL
Vous êtes déjà membre ? Connectez-vous
Hum, une erreur s’est produite lors de l’envoi de votre message. Veuillez réessayer.
Merci ! Votre message a été envoyé.
