Votre e-mail a été envoyé.
220 Greystone Blvd Terrain commercial | À louer | 0,24 ha | Columbia, SC 29210



Certaines informations ont été traduites automatiquement.
INFORMATIONS PRINCIPALES
- Nombre de véhicules environ 13 000 par jour
- Concessionnaire automobile ou utilisation pour la réparation ou le remorquage
- Terrain clôturé
LOT DISPONIBLE
Afficher les loyers en
| Loyer |
|
Surface du lot | 0,24 ha |
| Durée du bail | Négociable |
| Loyer | |
| Durée du bail | Négociable |
| Surface du lot | 0,24 ha |
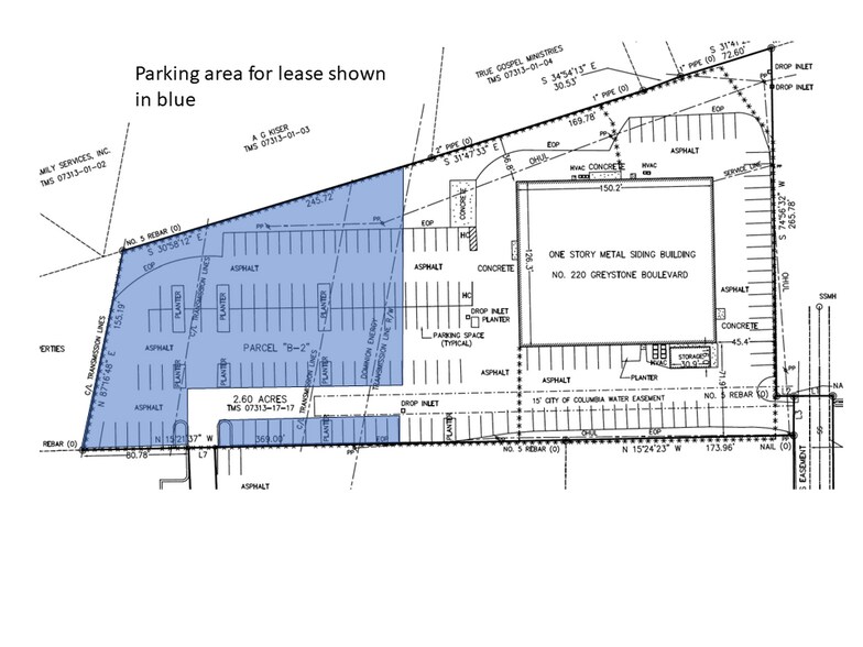
Approximately .6 acres available for parking, dealerships, fleets, trucking and other uses.
APERÇU DU BIEN
Terrain de stationnement commercial à louer - 220 Greystone Blvd, Columbia, SC Emplacement de choix Ce parking commercial est situé au cœur de Columbia, en Caroline du Sud, sur le boulevard Greystone, un corridor très fréquenté offrant une excellente visibilité. Le terrain est également à distance de marche de nombreux concessionnaires automobiles. Grand parking Le parking peut accueillir jusqu'à 75 véhicules, ce qui le rend idéal pour les entreprises de toutes tailles, en particulier les concessionnaires automobiles et les flottes de véhicules. Également opérations de remorquage et terrain de stockage. Le terrain est également clôturé pour plus de sécurité et de tranquillité d'esprit. Contactez-nous dès aujourd'hui pour en savoir plus sur ce parking commercial et planifier une visite. Ce poste ne durera pas longtemps.
INFORMATIONS SUR L’IMMEUBLE
Présenté par
Main Gate Management, LLC
220 Greystone Blvd
Hum, une erreur s’est produite lors de l’envoi de votre message. Veuillez réessayer.
Merci ! Votre message a été envoyé.
