Connectez-vous/S’inscrire
Votre e-mail a été envoyé.
1786 Louisiana 401 Ln Lots | Terrain commercial | 5,06-15,73 ha | À vendre | 42 173 €-79 233 € par lot | Napoleonville, LA 70390



Certaines informations ont été traduites automatiquement.
INFORMATIONS SUR L’IMMEUBLE
| Prix | 42 173 € – 195 101 € | Sous-type de bien | Terrain commercial |
| Type de vente | Investissement | Usage proposé | |
| Nb de lots | 3 | Surface totale du lot | 34,11 ha |
| Type de bien | Terrain |
| Prix | 42 173 € – 195 101 € |
| Type de vente | Investissement |
| Nb de lots | 3 |
| Type de bien | Terrain |
| Sous-type de bien | Terrain commercial |
| Usage proposé | |
| Surface totale du lot | 34,11 ha |
3 LOTS DISPONIBLES
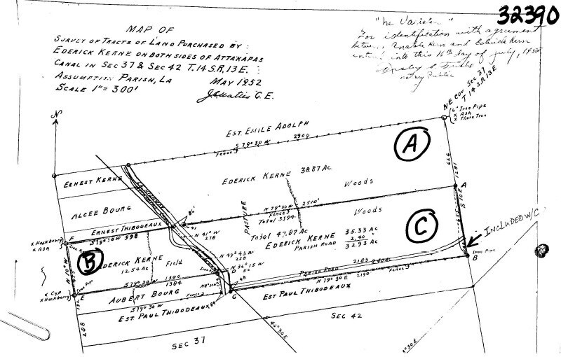
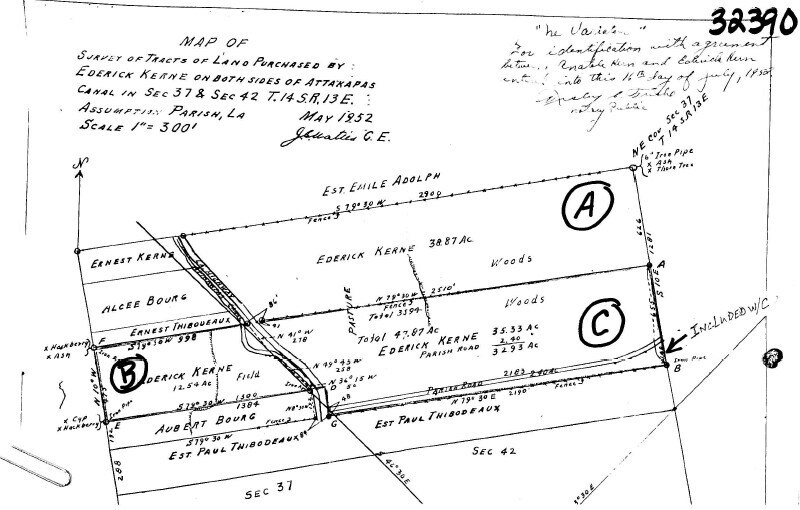
Lot A
| Prix | 73 695 € | Surface du lot | 15,73 ha |
| Prix par ha | 4 684,98 € |
| Prix | 73 695 € |
| Prix par ha | 4 684,98 € |
| Surface du lot | 15,73 ha |
Tracts A and C are lowlands but have state highway frontage and are less than 1 mile from Lake Verret and less than 1 mile from two different boat launches
Lot B
| Prix | 42 173 € | Surface du lot | 5,06 ha |
| Prix par ha | 8 336,84 € |
| Prix | 42 173 € |
| Prix par ha | 8 336,84 € |
| Surface du lot | 5,06 ha |
Tract B Under Contract
Lot C
| Prix | 79 233 € | Surface du lot | 13,33 ha |
| Prix par ha | 5 945,63 € |
| Prix | 79 233 € |
| Prix par ha | 5 945,63 € |
| Surface du lot | 13,33 ha |
Tract C is on the corner of LA Hwy 401 and La Hwy 400. In fact Tract C has property on both sides of La Hwy 400. This one has potential. Needs a forward thinking owner.
1 1
TAXES FONCIÈRES
| Numéro de parcelle | 500043400 | Évaluation des aménagements | 0 € |
| Évaluation du terrain | 690 € | Évaluation totale | 690 € |
TAXES FONCIÈRES
Numéro de parcelle
500043400
Évaluation du terrain
690 €
Évaluation des aménagements
0 €
Évaluation totale
690 €
1 sur 4
VIDÉOS
VISITE EXTÉRIEURE 3D MATTERPORT
VISITE 3D
PHOTOS
STREET VIEW
RUE
CARTE
1 sur 1
Présenté par
Len Guedry
1786 Louisiana 401 Ln
Vous êtes déjà membre ? Connectez-vous
Hum, une erreur s’est produite lors de l’envoi de votre message. Veuillez réessayer.
Merci ! Votre message a été envoyé.

