Connectez-vous/S’inscrire
Votre e-mail a été envoyé.
Certaines informations ont été traduites automatiquement.
INFORMATIONS PRINCIPALES SUR L'INVESTISSEMENT
- Good location, one block west of GA 400
- Public water and sewer
- Strong residential and commercial area
RÉSUMÉ ANALYTIQUE
$150,000 per acre
Commercial potential for light industrial or retail shop space
Commercial potential for light industrial or retail shop space
INFORMATIONS SUR L’IMMEUBLE
| Prix | 1 103 139 € | Nb de biens | 2 |
| Type de vente | Investissement ou propriétaire occupant | Individuellement en vente | 0 |
| Statut | Actif | Surface totale du terrain | 3,53 ha |
| Prix | 1 103 139 € |
| Type de vente | Investissement ou propriétaire occupant |
| Statut | Actif |
| Nb de biens | 2 |
| Individuellement en vente | 0 |
| Surface totale du terrain | 3,53 ha |
Biens
| NOM DU BIEN/ADRESSE | TYPE DE BIEN | SURFACE | PRIX INDIVIDUEL |
|---|---|---|---|
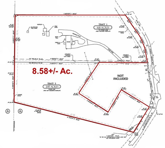
| 174 Stacie Ln, Dawsonville, GA 30534 | Terrain | 1,87 ha | - |
|
Approx. 8.58 Acre Assemblage
173 Stacie ln, Dawsonville, GA 30534 |
Terrain | 1,67 ha | - |
1 1
1 sur 5
VIDÉOS
VISITE EXTÉRIEURE 3D MATTERPORT
VISITE 3D
PHOTOS
STREET VIEW
RUE
CARTE
1 sur 1
Présenté par
173 & 174 Stacie Ln.
Vous êtes déjà membre ? Connectez-vous
Hum, une erreur s’est produite lors de l’envoi de votre message. Veuillez réessayer.
Merci ! Votre message a été envoyé.




