Votre e-mail a été envoyé.
30 Entitled or Developed Lot Townhome Site 1468 Old Salisbury Rd Lot | Terrain commercial | 1,35 ha | À vendre | 388 291 € | Winston-Salem, NC 27127



Certaines informations ont été traduites automatiquement.
Informations principales sur l'investissement
- Seller open to development and construction partnership
- Utilities in place: water and sewer on-site
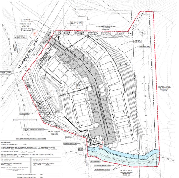
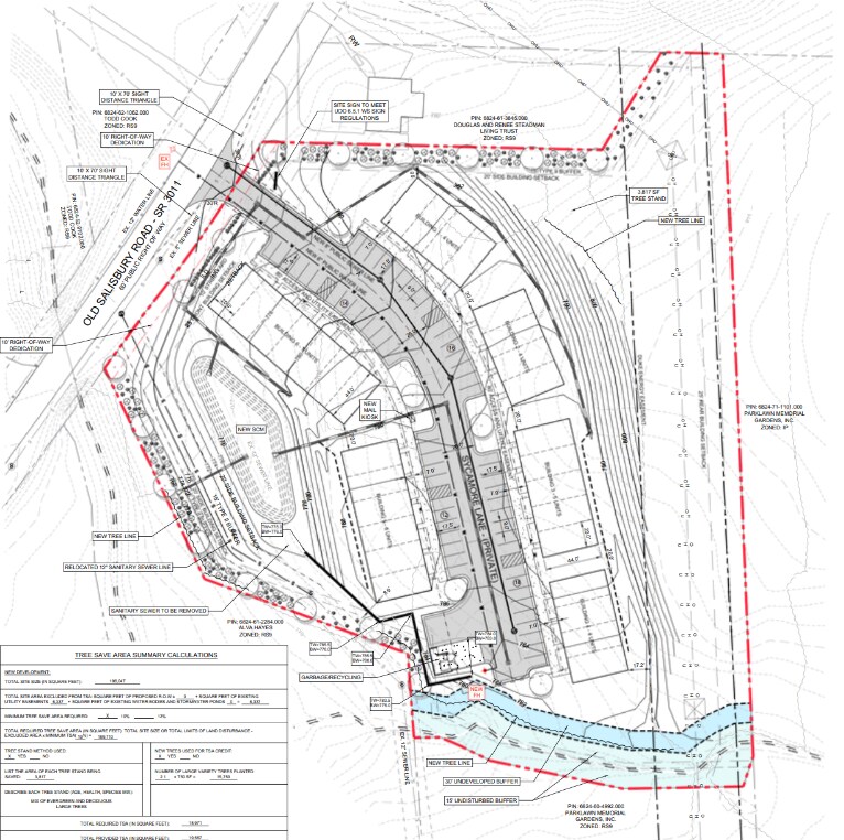
- Entitled for 30 lots, ideal for residential development
- Located near Hanes Mall and upcoming employment centers
Résumé analytique
Featuring 30 entitled lots with pending approvals, the property is competitively priced at $450,000, equating to just $15,000 per lot. With water and sewer already on-site and elevations available, this parcel is ready for immediate progress. The seller is willing to develop and build, creating a seamless path for investors or builders seeking a turnkey solution.
Informations sur l’immeuble
| Prix | 388 291 € | Sous-type de bien | Terrain commercial |
| Type de vente | Investissement ou propriétaire occupant | Usage proposé | Développement de lot unifamilial |
| Nb de lots | 1 | Surface totale du lot | 1,35 ha |
| Type de bien | Terrain | ||
| Zonage | RM8-S - Residential Multifamily - 8 units per acre | ||
| Prix | 388 291 € |
| Type de vente | Investissement ou propriétaire occupant |
| Nb de lots | 1 |
| Type de bien | Terrain |
| Sous-type de bien | Terrain commercial |
| Usage proposé | Développement de lot unifamilial |
| Surface totale du lot | 1,35 ha |
| Zonage | RM8-S - Residential Multifamily - 8 units per acre |
1 Lot disponible
Lot
| Prix | 388 291 € | Surface du lot | 1,35 ha |
| Prix par ha | 287 272,21 € |
| Prix | 388 291 € |
| Prix par ha | 287 272,21 € |
| Surface du lot | 1,35 ha |
Positioned at 1468 Old Salisbury Road, this 3.34-acre ± site offers an exceptional chance to capitalize on Winston-Salem’s growing residential demand.
Description
This property is ideal for developers looking to deliver quality housing in a market with consistent growth. The combination of entitled lots, infrastructure readiness, and seller flexibility creates a rare opportunity to accelerate timelines and maximize returns. Whether you envision single-family homes or a thoughtfully planned subdivision, this site offers the foundation for success.
Présenté par
30 Entitled or Developed Lot Townhome Site | 1468 Old Salisbury Rd
Hum, une erreur s’est produite lors de l’envoi de votre message. Veuillez réessayer.
Merci ! Votre message a été envoyé.
