Connectez-vous/S’inscrire
Votre e-mail a été envoyé.
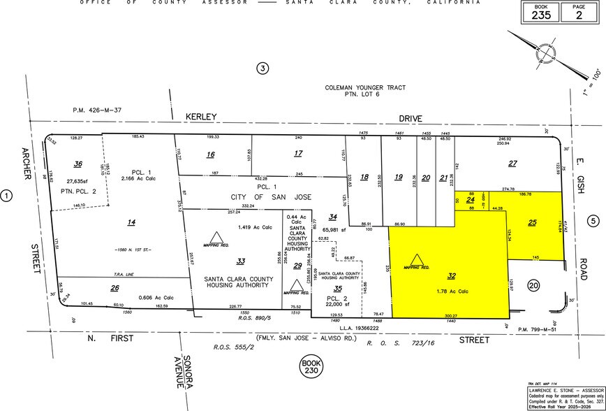
1st & Gish Properties, San Jose 1440 N 1st St Lot | Terrain commercial | 1,02 ha | À vendre | 19 841 869 € | San Jose, CA 95112



Certaines informations ont été traduites automatiquement.
RÉSUMÉ ANALYTIQUE
Exceptional development potential in a highly visible and convenient location.
Urban Village Land Use Summary
Land Use Designation -- Urban Village
Dwelling Units per Acre -- Up to 250 DU/AC
Floor Area Ratio -- Up to 10.0 FAR
The Urban Village designation encourages high-density, mixed-use development that combines housing, employment, retail, and community services within a compact, walkable environment. It is intended to support both significant housing growth and job creation in areas with strong access to public transit and existing infrastructure.
Projects within Urban Village areas are guided by an adopted Urban Village Plan, which establishes the development standards, land use mix, design guidelines, and infrastructure improvements necessary to achieve the City of San José’s long-term growth and sustainability goals. The intent is to create vibrant, pedestrian-oriented communities that balance residential and employment uses, reduce vehicle dependency, and enhance the public realm.
Prior to the adoption of an Urban Village Plan, allowable uses are generally consistent with the Neighborhood/Community Commercial designation and may include residential, retail, office, and institutional uses. After adoption, permitted development must conform to the Urban Village Plan’s detailed land use and design framework.
The minimum residential density for projects with a significant housing component is 55 DU/AC, while mixed-use developments that integrate residential with substantial non-residential space may be developed at proportionally lower residential densities. Projects focused entirely on employment uses may also operate at lower FARs to accommodate flexible, phased development strategies.
Key Objectives:
-- Promote transit-oriented, high-density urban development that supports public transit use and walkability.
-- Integrate residential, retail, and office uses to create a complete urban neighborhood.
-- Encourage Signature Projects and innovative design that set a high standard for architectural quality and urban form.
-- Support vibrant public spaces, active street frontages, and a strong pedestrian experience.
Source: City of San José Envision San José 2040 General Plan – Chapter 5: Interconnected City (Land Use Designation).
https://www.sanjoseca.gov/home/showpublisheddocument/121586/638828345723130000
Urban Village Land Use Summary
Land Use Designation -- Urban Village
Dwelling Units per Acre -- Up to 250 DU/AC
Floor Area Ratio -- Up to 10.0 FAR
The Urban Village designation encourages high-density, mixed-use development that combines housing, employment, retail, and community services within a compact, walkable environment. It is intended to support both significant housing growth and job creation in areas with strong access to public transit and existing infrastructure.
Projects within Urban Village areas are guided by an adopted Urban Village Plan, which establishes the development standards, land use mix, design guidelines, and infrastructure improvements necessary to achieve the City of San José’s long-term growth and sustainability goals. The intent is to create vibrant, pedestrian-oriented communities that balance residential and employment uses, reduce vehicle dependency, and enhance the public realm.
Prior to the adoption of an Urban Village Plan, allowable uses are generally consistent with the Neighborhood/Community Commercial designation and may include residential, retail, office, and institutional uses. After adoption, permitted development must conform to the Urban Village Plan’s detailed land use and design framework.
The minimum residential density for projects with a significant housing component is 55 DU/AC, while mixed-use developments that integrate residential with substantial non-residential space may be developed at proportionally lower residential densities. Projects focused entirely on employment uses may also operate at lower FARs to accommodate flexible, phased development strategies.
Key Objectives:
-- Promote transit-oriented, high-density urban development that supports public transit use and walkability.
-- Integrate residential, retail, and office uses to create a complete urban neighborhood.
-- Encourage Signature Projects and innovative design that set a high standard for architectural quality and urban form.
-- Support vibrant public spaces, active street frontages, and a strong pedestrian experience.
Source: City of San José Envision San José 2040 General Plan – Chapter 5: Interconnected City (Land Use Designation).
https://www.sanjoseca.gov/home/showpublisheddocument/121586/638828345723130000
INFORMATIONS SUR L’IMMEUBLE
| Prix | 19 841 869 € | Sous-type de bien | Terrain commercial |
| Type de vente | Investissement ou propriétaire occupant | Surface totale du lot | 1,02 ha |
| Nb de lots | 1 | Zone de développement économique [USA] |
Oui
|
| Type de bien | Terrain | ||
| Zonage | Urban Village | ||
| Prix | 19 841 869 € |
| Type de vente | Investissement ou propriétaire occupant |
| Nb de lots | 1 |
| Type de bien | Terrain |
| Sous-type de bien | Terrain commercial |
| Surface totale du lot | 1,02 ha |
| Zone de développement économique [USA] |
Oui |
| Zonage | Urban Village |
1 LOT DISPONIBLE
Lot
| Prix | 19 841 869 € | Surface du lot | 1,02 ha |
| Prix par ha | 19 533 994,82 € |
| Prix | 19 841 869 € |
| Prix par ha | 19 533 994,82 € |
| Surface du lot | 1,02 ha |
This sale includes three contiguous parcels totaling approximately 2.51 acres of prime land located just half a mile from San Jose Mineta International Airport and less than three miles from Downtown San Jose and San Jose State University.
DESCRIPTION
*** 1440 N 1st St (APN: 235-02-032) -- 1.78 acres, currently San Jose Airport Inn *** 41 E Gish Rd (APN: 235-02-025) -- 0.63 acres, currently two commercial buildings *** APN: 235-02-024 -- 0.10 acres, used as a parking lot
1 1
Walk Score®
Très praticable à pied (70)
TAXES FONCIÈRES
| N° de parcelle | Évaluation des aménagements | 7 266 790 € | |
| Évaluation du terrain | 7 926 367 € | Évaluation totale | 15 193 157 € |
TAXES FONCIÈRES
N° de parcelle
Évaluation du terrain
7 926 367 €
Évaluation des aménagements
7 266 790 €
Évaluation totale
15 193 157 €
1 sur 4
VIDÉOS
VISITE EXTÉRIEURE 3D MATTERPORT
VISITE 3D
PHOTOS
STREET VIEW
RUE
CARTE
1 sur 1
Présenté par
1st & Gish Properties, San Jose | 1440 N 1st St
Vous êtes déjà membre ? Connectez-vous
Hum, une erreur s’est produite lors de l’envoi de votre message. Veuillez réessayer.
Merci ! Votre message a été envoyé.
