Connectez-vous/S’inscrire
Votre e-mail a été envoyé.
Certaines informations ont été traduites automatiquement.
RÉSUMÉ ANALYTIQUE
The subject property is located at 3924 S. Dogwood Ave in El Centro, CA. It is less than one mile south of I-8, approximately 4 miles south of downtown El Centro, and approximately 8 miles north of the border.
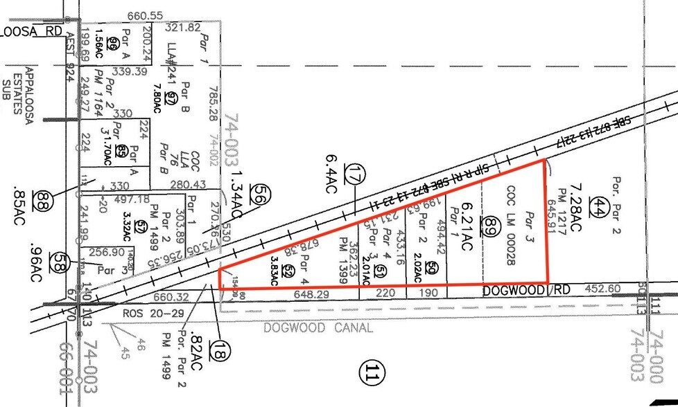
The subject property consists of approximately 14 acres within the City of El Centro. The property was recently annexed into the City and now has a zoning and land use designation of multi-family residential. The subject property has potential for a 350-unit apartment building just north of the border
The subject property consists of approximately 14 acres within the City of El Centro. The property was recently annexed into the City and now has a zoning and land use designation of multi-family residential. The subject property has potential for a 350-unit apartment building just north of the border
INFORMATIONS SUR L’IMMEUBLE
1 LOT DISPONIBLE
Lot
| Prix | 1 617 544 € | Surface du lot | 5,67 ha |
| Prix par ha | 285 502,68 € |
| Prix | 1 617 544 € |
| Prix par ha | 285 502,68 € |
| Surface du lot | 5,67 ha |
054-390-089 6.21 Acres 054-390-050 1.94 Acres 054-390-051 2.01 Acres 054-390-052 3.83 Acres TOTAL 13.99 Acres
1 1
TAXES FONCIÈRES
| N° de parcelle | Évaluation des aménagements | 0 € | |
| Évaluation du terrain | 43 340 € | Évaluation totale | 43 340 € |
TAXES FONCIÈRES
N° de parcelle
Évaluation du terrain
43 340 €
Évaluation des aménagements
0 €
Évaluation totale
43 340 €
1 sur 4
VIDÉOS
VISITE EXTÉRIEURE 3D MATTERPORT
VISITE 3D
PHOTOS
STREET VIEW
RUE
CARTE
1 sur 1
Présenté par
1431 Dogwood Rd
Vous êtes déjà membre ? Connectez-vous
Hum, une erreur s’est produite lors de l’envoi de votre message. Veuillez réessayer.
Merci ! Votre message a été envoyé.




