
Cette fonctionnalité n’est pas disponible pour le moment.
Nous sommes désolés, mais la fonctionnalité à laquelle vous essayez d’accéder n’est pas disponible actuellement. Nous sommes au courant du problème et notre équipe travaille activement pour le résoudre.
Veuillez vérifier de nouveau dans quelques minutes. Veuillez nous excuser pour ce désagrément.
– L’équipe LoopNet
Votre e-mail a été envoyé.
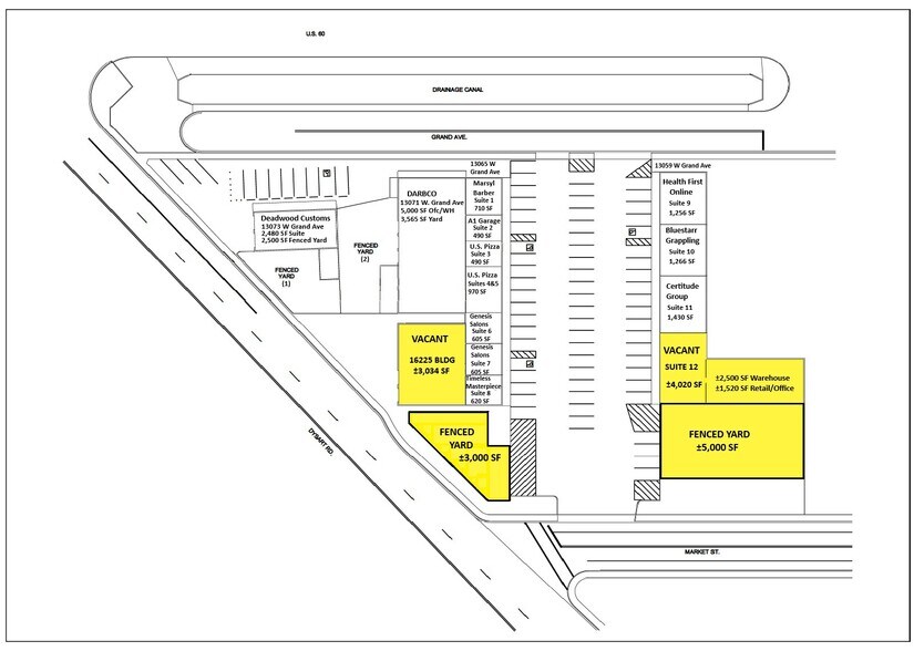
Butler's Corner Plaza 13065 W Grand Ave Espace disponible | 282 m² | Local commercial | Surprise, AZ 85374



Certaines informations ont été traduites automatiquement.
DISPONIBILITÉ DE L’ESPACE (1)
Afficher le tarif en
- ESPACE
- SURFACE
- DURÉE
- LOYER
- TYPE DE LOYER
Espace | Surface | Durée | Loyer | Type de loyer | ||
1er étage | 282 m² | Négociable | Sur demande Sur demande Sur demande Sur demande | À déterminer |
13065-13073 W Grand Ave - 1er étage
±3,034 Retail/Flex space along Dysart with a ±3,000 Fenced Yard.
- 3,000 SF Fenced Yard
- Frontage on Dysart
Types de loyers
Le montant et le type de loyer que l’occupant (locataire) est tenu de payer au propriétaire (bailleur) sur la durée du bail sont négociés avant la signature du bail par les deux parties. Le type de loyer varie selon les services fournis. Par exemple, le prix d’un loyer triple net est habituellement inférieur à celui d’un bail à service complet puisque l’occupant est tenu d’assumer des dépenses supplémentaires par rapport au loyer de base. Contacter le broker chargé de l’annonce pour bien comprendre les coûts associés ou les dépenses supplémentaires pour chaque type de loyer.
1. Service complet: Un loyer qui comprend des services d’immeuble standards normaux fournis par le propriétaire dans le cadre d’une location annuelle de base.
2. Double net (NN): L’occupant paie seulement deux des frais de l’immeuble. Le propriétaire et l’occupant déterminent ces frais spécifiques avant la signature du bail.
3. Triple net (NNN): Un bail selon lequel l’occupant est responsable de tous les frais liés à sa part proportionnelle d’occupation de l’immeuble.
4. Brut modifié: Le brut modifié est un type général de bail dans lequel l’occupant est en général responsable de sa part proportionnelle d’une ou de plusieurs dépenses. C’est le propriétaire qui paie les frais restants. Consultez la liste ci-dessous pour connaître les structures de loyers bruts modifiés les plus courantes : 4. Plus services publics: Un type de bail brut modifié, où l’occupant est responsable à hauteur de sa part proportionnelle des services publics en plus du loyer. 4. Plus nettoyage: Un type de bail brut modifié, où l’occupant est responsable à hauteur de sa part proportionnelle du nettoyage en plus du loyer. 4. Plus électricité: Un type de bail brut modifié, où l’occupant est responsable à hauteur de sa part proportionnelle du coût de la consommation électrique en plus du loyer. 4. Plus électricité et nettoyage: Un type de bail brut modifié, où l’occupant est responsable à hauteur de sa part proportionnelle du coût de la consommation électrique et du nettoyage en plus du loyer. 4. Plus services publics et charges: Un type de bail brut modifié où l’occupant est responsable à hauteur de sa part proportionnelle des services publics et du coût de nettoyage en plus du loyer. 4. Bail industriel brut: Un type de bail brut modifié dans lequel l’occupant paie un ou plusieurs des frais en plus du loyer. Le propriétaire et l’occupant déterminent ces frais spécifiques avant la signature du bail.
5. Électricité à la charge de l’occupant: Le propriétaire paie pour tous les services et l’occupant est responsable de sa propre utilisation de l’éclairage et des prises électriques dans l’espace qu’il occupe.
6. Négociable ou sur demande: Cette option est utilisée lorsque le contact de location n’indique pas le type de loyer ou de service.
7. À déterminer: À déterminer : utilisé pour les immeubles dont le type de services ou de loyer n’est pas connu, souvent quand l’immeuble n’est pas encore construit.
PLAN DU SITE
SÉLECTIONNER DES OCCUPANTS À BUTLER'S CORNER PLAZA
- OCCUPANT
- DESCRIPTION
- US LOCALISATIONS
- COUVERTURE
- Bluestar Grappling
- -
- 1
- -
- Genesis Salon
- Coiffeur/Barbier/Spa
- 1
- Local
- Marsyl Barber Shop
- Coiffeur/Barbier/Spa
- 1
- Local
- Rogue Rider Industries
- -
- 1
- -
- The Surprise Shop
- Enseigne
- 1
- -
- US Pizza
- Pizza
- 2
- Local
OCCUPANT | DESCRIPTION | US LOCALISATIONS | COUVERTURE |
Bluestar Grappling | - | 1 | - |
Genesis Salon | Coiffeur/Barbier/Spa | 1 | Local |
Marsyl Barber Shop | Coiffeur/Barbier/Spa | 1 | Local |
Rogue Rider Industries | - | 1 | - |
The Surprise Shop | Enseigne | 1 | - |
US Pizza | Pizza | 2 | Local |
INFORMATIONS SUR L’IMMEUBLE
Espace total disponible | 282 m² | Façade | 91,44 m le W Grand Ave |
Type de centre | Centre commercial à ciel ouvert | Surface commerciale utile | 2 135 m² |
Magasins | 1 | Surface totale du terrain | 0,75 ha |
Biens du centre | 1 | Année de construction | 1984 |
Espace total disponible | 282 m² |
Type de centre | Centre commercial à ciel ouvert |
Magasins | 1 |
Biens du centre | 1 |
Façade | 91,44 m le W Grand Ave |
Surface commerciale utile | 2 135 m² |
Surface totale du terrain | 0,75 ha |
Année de construction | 1984 |
CARACTÉRISTIQUES
- Accès 24 h/24
- Terrain d’angle
- Terrain clôturé
- Enseigne sur pylône
- Signalisation
- Intersection avec signalisation
- CVC contrôlé par l’occupant
- Espace d’entreposage
- Climatisation
PRINCIPAUX COMMERCES À PROXIMITÉ










Présenté par

Butler's Corner Plaza | 13065 W Grand Ave
Hum, une erreur s’est produite lors de l’envoi de votre message. Veuillez réessayer.
Merci ! Votre message a été envoyé.