Connectez-vous/S’inscrire
Votre e-mail a été envoyé.
Certaines informations ont été traduites automatiquement.
INFORMATIONS PRINCIPALES
- Le nouveau O'Reilly arrive bientôt
- Exposition élevée : plus de 38 000 voitures par jour
- Nouveau développement commercial sur Duncan Drive
- Le propriétaire construira sur mesure
- Population croissante
- Excellente visibilité
LOT DISPONIBLE
Afficher les loyers en
| Loyer |
|
Surface du lot | 0,42 ha |
| Durée du bail | 10 Ans |
| Loyer | |
| Durée du bail | 10 Ans |
| Surface du lot | 0,42 ha |
Lot is entitled for 2,500 +/- sf
APERÇU DU BIEN
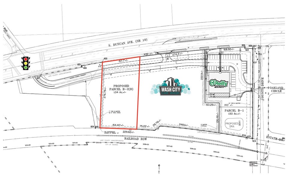
Terrain vacant disponible à la vente ou à la location au coin de S Duncan Drive et County Road à Tavares, en Floride. L'emplacement offre une excellente visibilité sur la rue et un trafic intense. O'Reilly Auto Parts sera développé sur une partie de la propriété. Le propriétaire construira sur mesure. La parcelle est zonée commerciale et peut être subdivisée - contactez pour plus d'informations.
INFORMATIONS SUR L’IMMEUBLE
1 1
1 sur 6
VIDÉOS
VISITE EXTÉRIEURE 3D MATTERPORT
VISITE 3D
PHOTOS
STREET VIEW
RUE
CARTE
1 sur 1
Présenté par
1299 S Duncan Dr
Vous êtes déjà membre ? Connectez-vous
Hum, une erreur s’est produite lors de l’envoi de votre message. Veuillez réessayer.
Merci ! Votre message a été envoyé.



