Connectez-vous/S’inscrire
Votre e-mail a été envoyé.
12766 Brown Bridge Rd Lot | Terrain commercial | 0,55 ha | À vendre | 733 439 € | Covington, GA 30016



Certaines informations ont été traduites automatiquement.
Résumé analytique
±2.31 AC across two parcels
• Parcel 1: ±0.95 AC – $600,000
• Parcel 2: ±1.36 AC – $850,000
Seller open to negotiation if acquired together
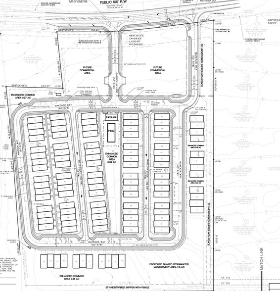
Located directly in front of a new 107-lot single-family residential community. Resi-built is building curb cuts, grading, and internal spine road as part of their development
Sewer & water available approx. 25 ft from Browns Bridge Rd with power overhead along frontage
Two monument sign locations secured via recorded easement
Strong visibility & direct access on Browns Bridge Rd
Suitable for Retail | QSR | Medical | Service | Neighborhood Commercial
• Parcel 1: ±0.95 AC – $600,000
• Parcel 2: ±1.36 AC – $850,000
Seller open to negotiation if acquired together
Located directly in front of a new 107-lot single-family residential community. Resi-built is building curb cuts, grading, and internal spine road as part of their development
Sewer & water available approx. 25 ft from Browns Bridge Rd with power overhead along frontage
Two monument sign locations secured via recorded easement
Strong visibility & direct access on Browns Bridge Rd
Suitable for Retail | QSR | Medical | Service | Neighborhood Commercial
Informations sur l’immeuble
1 Lot disponible
Lot 2
| Prix | 733 439 € | Surface du lot | 0,55 ha |
| Prix par ha | 1 332 623,84 € |
| Prix | 733 439 € |
| Prix par ha | 1 332 623,84 € |
| Surface du lot | 0,55 ha |
1 1
Fairly walkable
40/100
Exceptionally drivable
100/100
Somewhat bikeable
20/100
1 sur 4
Vidéos
Visite extérieure 3D Matterport
Visite 3D
Photos
Street view
Rue
Carte
1 sur 1
Présenté par
12766 Brown Bridge Rd
Vous êtes déjà membre ? Connectez-vous
Hum, une erreur s’est produite lors de l’envoi de votre message. Veuillez réessayer.
Merci ! Votre message a été envoyé.
