Connectez-vous/S’inscrire
Votre e-mail a été envoyé.
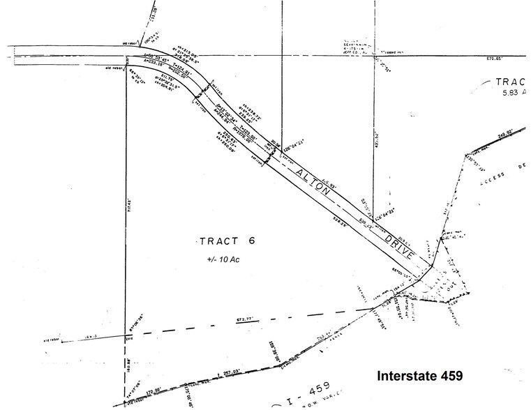
Alton Drive and Alton Road Industrial Acreage 1251 and 1255 Alton Drive Lot | Terrain industriel | 2,02 ha | À vendre | 284 747 €-625 581 € par lot | Birmingham, AL 35210


Certaines informations ont été traduites automatiquement.
Résumé analytique
Near Wood Fruittecher Food Distribution Center and Motion Industries. 1 mile interstate accessible.
Informations sur l’immeuble
2 Lots disponibles
Lot 1255 Alton
| Prix | 625 581 € | Surface du lot | 2,02 ha |
| Prix par ha | 309 168,73 € |
| Prix | 625 581 € |
| Prix par ha | 309 168,73 € |
| Surface du lot | 2,02 ha |
10-acre total parcel with 900 LF of Interstate 459 frontage sales price $600,000
Lot 2805 Alton
| Prix | 284 747 € | Surface du lot | 2,02 ha |
| Prix par ha | 140 725,08 € |
| Prix | 284 747 € |
| Prix par ha | 140 725,08 € |
| Surface du lot | 2,02 ha |
5 acre partially prepped industrial acreage with significant frontage on Alton Road sale price $330,000.
1 1
Somewhat walkable
20/100
Exceptionally drivable
100/100
Taxes foncières
| N° de parcelle | Évaluation des aménagements | 0 € | |
| Évaluation du terrain | 18 468 € | Évaluation totale | 18 468 € |
Taxes foncières
N° de parcelle
Évaluation du terrain
18 468 €
Évaluation des aménagements
0 €
Évaluation totale
18 468 €
1 sur 3
Vidéos
Visite extérieure 3D Matterport
Visite 3D
Photos
Street view
Rue
Carte
1 sur 1
Présenté par
Birmingham Investment Realty
Alton Drive and Alton Road Industrial Acreage | 1251 and 1255 Alton Drive
Vous êtes déjà membre ? Connectez-vous
Hum, une erreur s’est produite lors de l’envoi de votre message. Veuillez réessayer.
Merci ! Votre message a été envoyé.
