Connectez-vous/S’inscrire
Votre e-mail a été envoyé.
Certaines informations ont été traduites automatiquement.
LOT DISPONIBLE
Afficher les loyers en
| Loyer |
|
Surface du lot | 0,4 ha |
| Durée du bail | Négociable |
| Loyer | |
| Durée du bail | Négociable |
| Surface du lot | 0,4 ha |
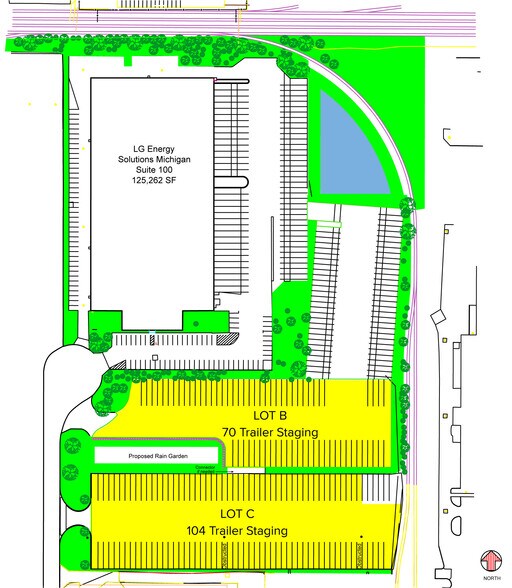
10-174 trailer parking spaces available. Ten space minimum with at least one month rental term. All trailers must be empty. Rental rate: $150-$200 per space per month.
APERÇU DU BIEN
Stationnement pour caravanes disponible à court et à long terme.
INFORMATIONS SUR L’IMMEUBLE
1 1
1 sur 2
VIDÉOS
VISITE EXTÉRIEURE 3D MATTERPORT
VISITE 3D
PHOTOS
STREET VIEW
RUE
CARTE
1 sur 1
Présenté par
Trailer Parking | 12350 Sears St
Vous êtes déjà membre ? Connectez-vous
Hum, une erreur s’est produite lors de l’envoi de votre message. Veuillez réessayer.
Merci ! Votre message a été envoyé.

